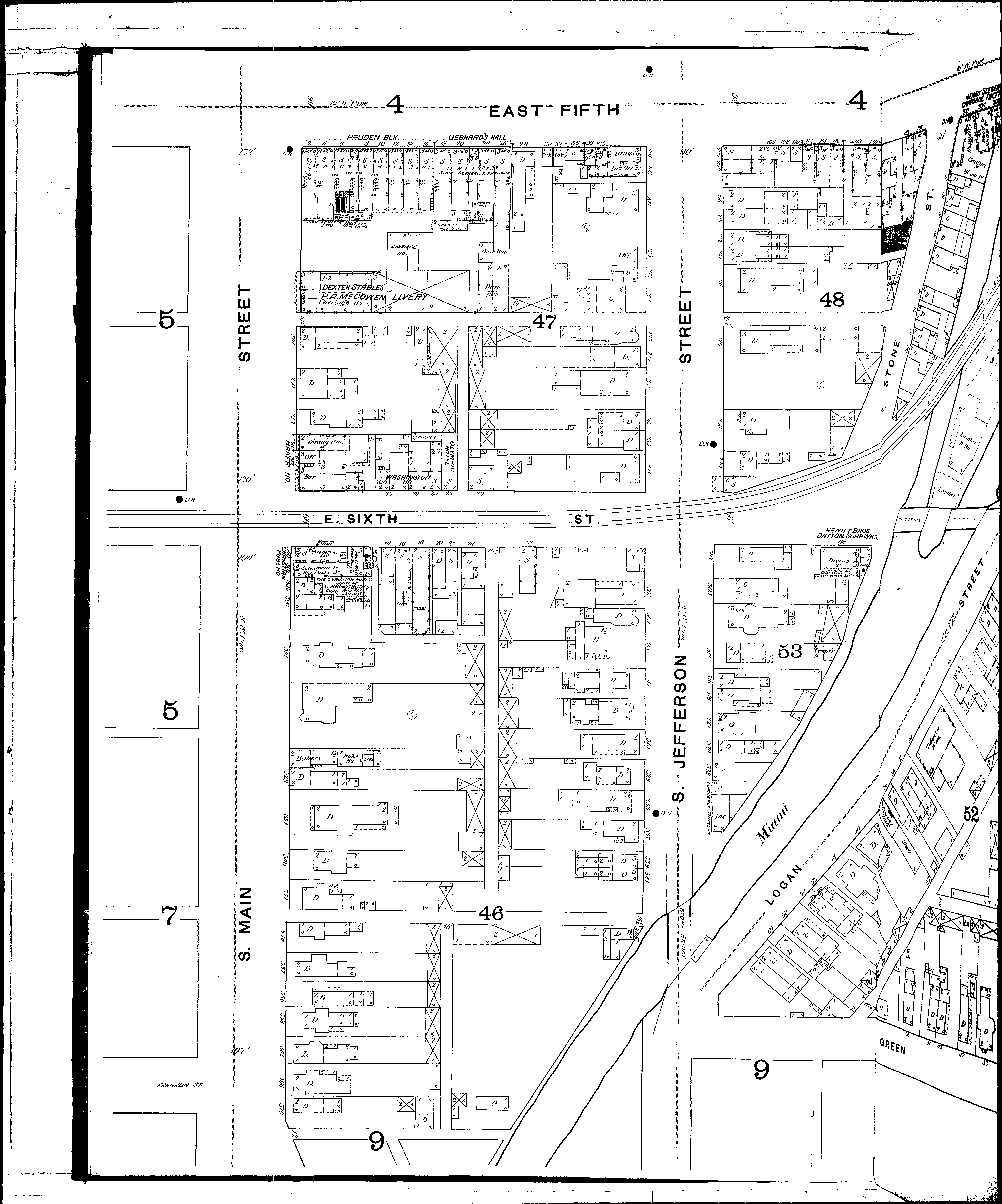
County: Montgomery Co.
City: Dayton
Date: 1887
Currently viewing image: 14 of 65
Previous - Next

Current sheet label: 6
Jump to sheet label:

Print map from PDF
Download full image
Download current view

Locations:
Baker Hotel
Christian Church
Christian Publishing House
Dayton Soap Works
Dexter Stables
Gebhards Hall
Hewitt Bros. Soap Works
Houck, M. J., Lumber Yard
Kingsbury, C. A., Cigar Box Fact
Kratochwill, J., Mill & Elevator
McGowen, P. A., Livery
Old Cooper Cotton Mill
Olympic Hotel
Oregon Flouring Mills
Osceola Mills Block
Phillips T. A., & Son, Cotton Mills
Pruden Block
Seeger, H., Carriage Factory
Washington Hotel

Streets:
Brown [1-145]
Fifth, E [2-338]
Green [1-119]
Jefferson, S [200-345]
Logan
Main, S [200-360]
New Brown [1-145]
Sixth, E [1-320]
Smith [1-320]
Stone
Tecumseh