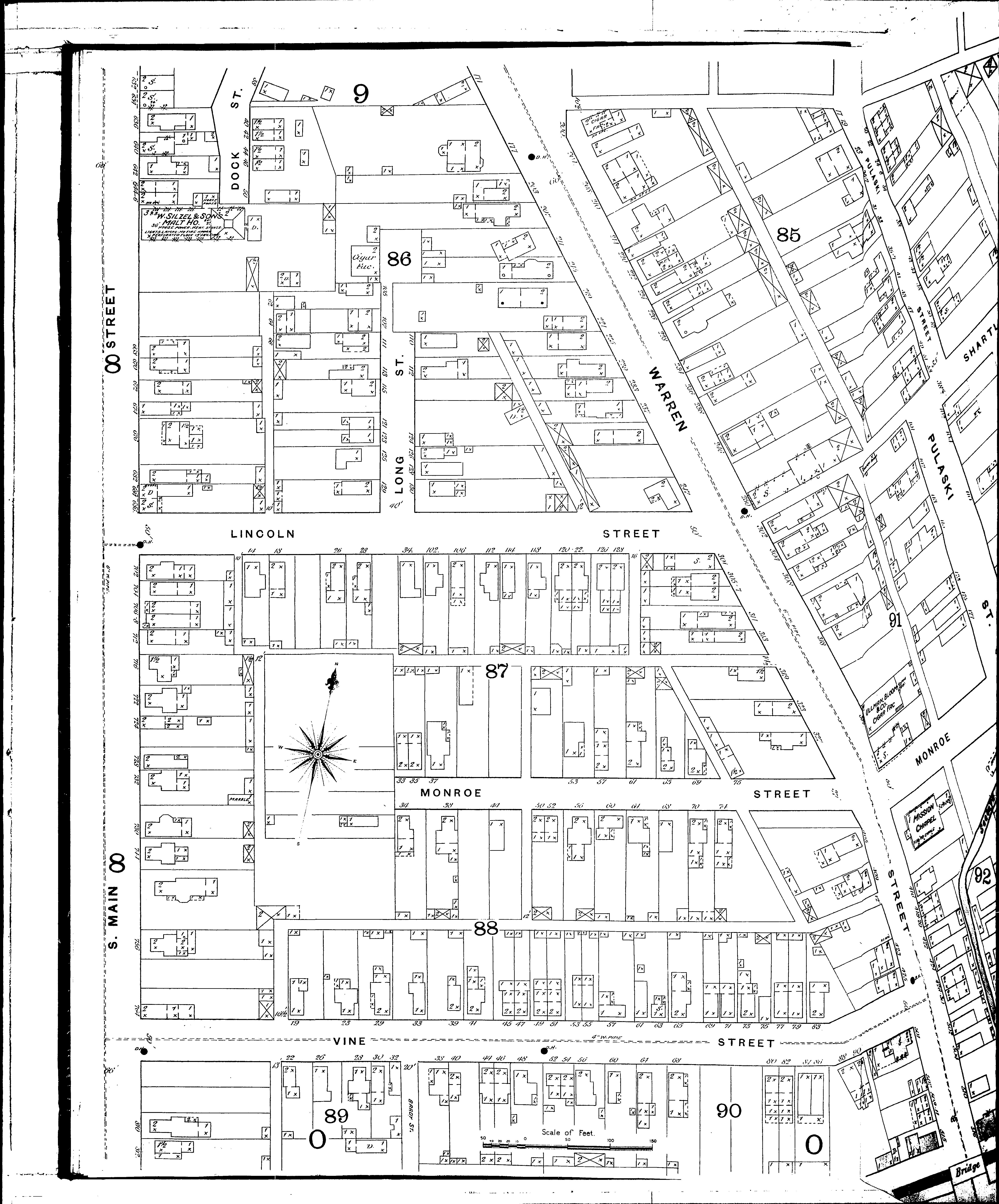
County: Montgomery Co.
City: Dayton
Date: 1887
Currently viewing image: 22 of 65
Previous - Next

Current sheet label: 10
Jump to sheet label:

Print map from PDF
Download full image
Download current view

Locations:
Mission Chapel
Seafer & Mahrt, Cigar Fact
Silzel, W., & Son, Malt House
Ullman, Bloom & Co., Cigar Fact

Streets:
Brabham [1-120]
Brady, near Vine
Brown [521-782]
Dock [39-50]
Hickory [113-225]
Lincoln
Long
Main, S [636-812]
Monroe [1-411]
Old Brown [1-124]
Pulaski [17-130]
Shartle
Vine
Warren [173-516]
Zig Zag [1-15]
Zig Zag [17-96]