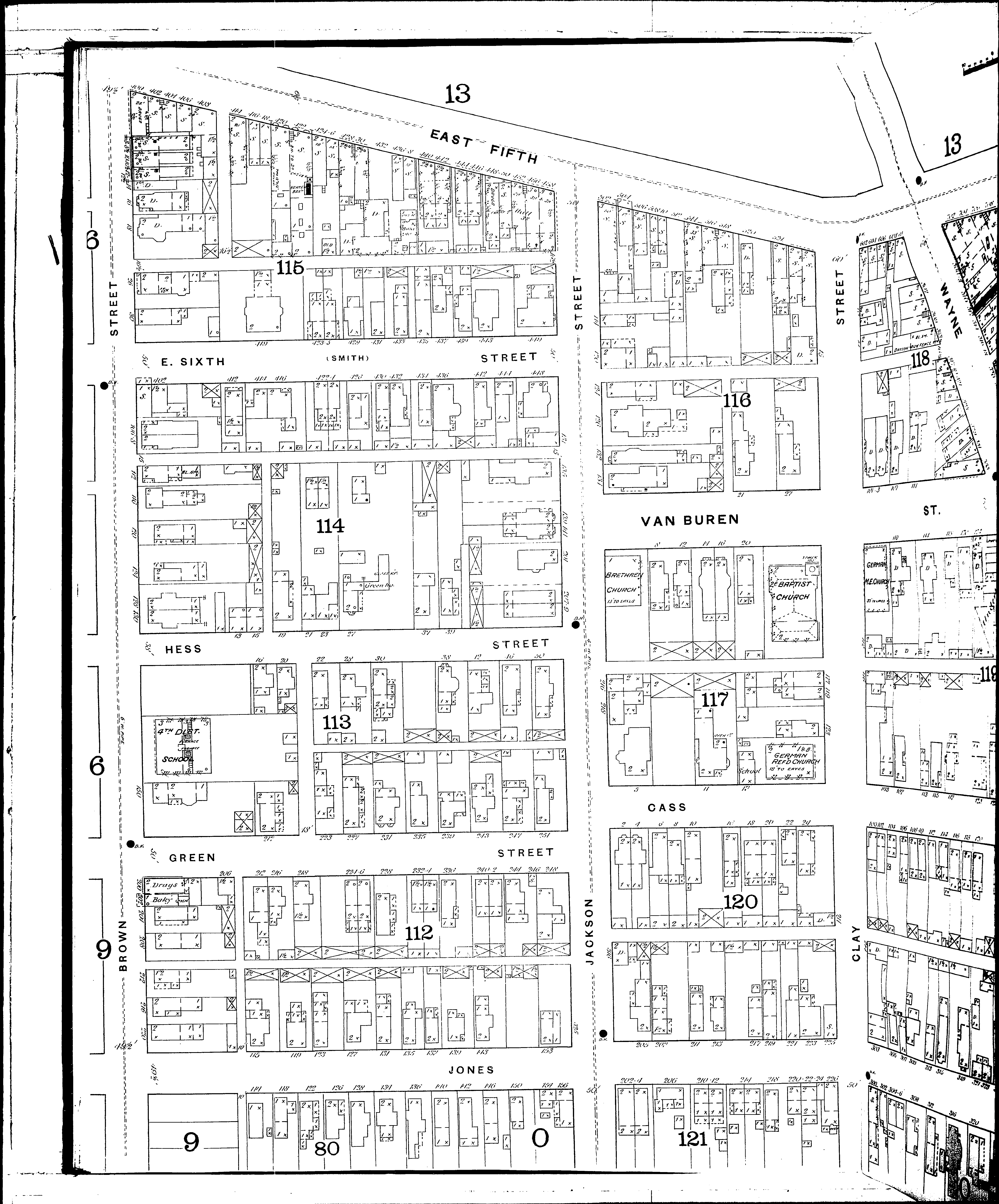
County: Montgomery Co.
City: Dayton
Date: 1887
Currently viewing image: 26 of 65
Previous - Next

Current sheet label: 12
Jump to sheet label:

Print map from PDF
Download full image
Download current view

Locations:
Brethren Church
Dayton Iron Fence Works
Fourth District Public School
German Meth. Episc. Church
German Reformed Church
Hacker Dry Plate Co
Second Baptist Church
United Brethren Church

Streets:
Brown [2-220]
Cass
Clay [1-306]
Davis [1-12]
Fifth, E [400-728]
Green [201-252]
Hess
Howard [1-119]
Howard [200-411]
Jackson [100-407]
Jones [99-113]
Jones [114-355]
McLain [1-40]
McLain [100-124]
Plum, near Howard
Sixth, E [400-449]
Van Buren
Wayne [300-531]
Wayne [600-612]