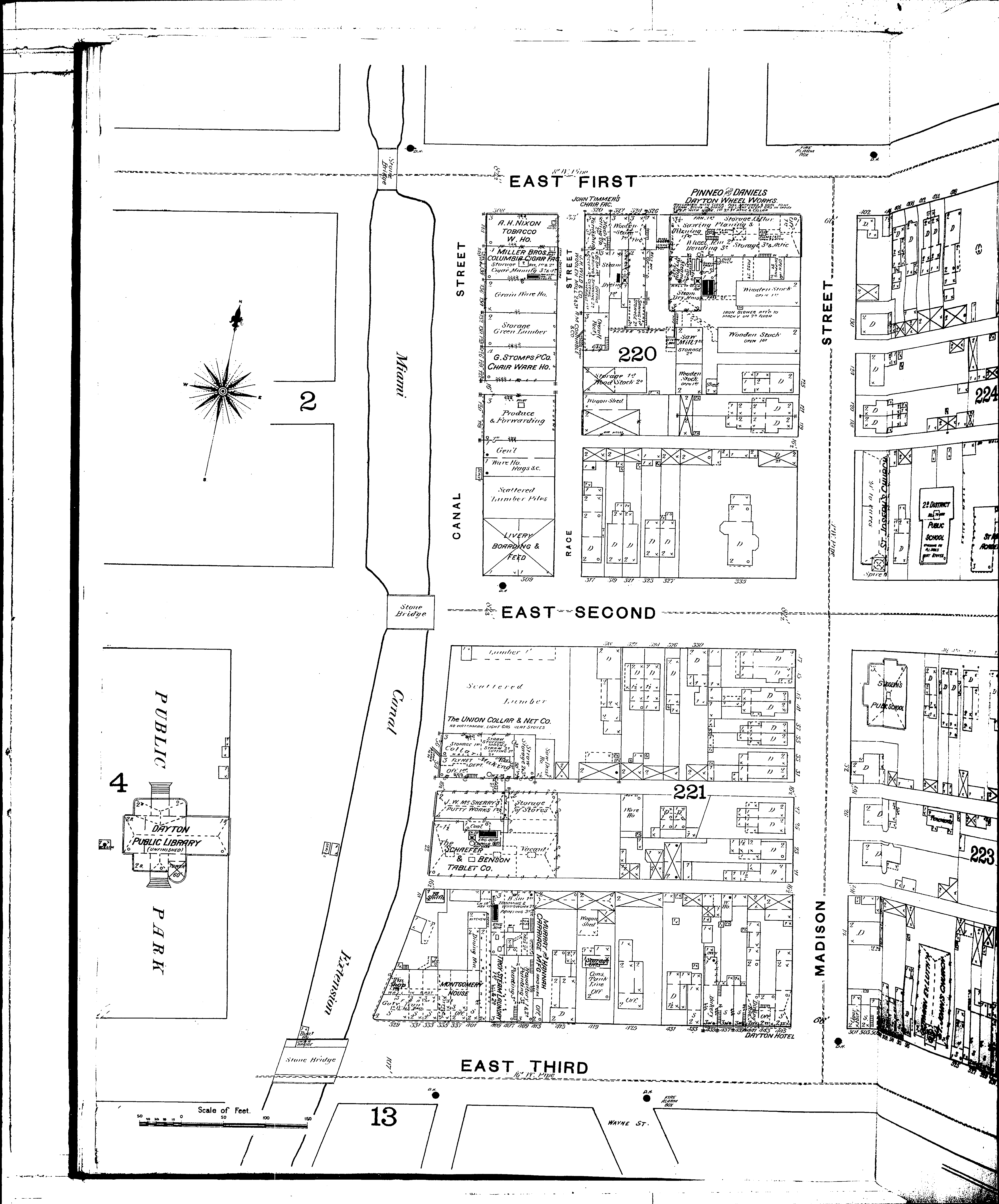
County: Montgomery Co.
City: Dayton
Date: 1887
Currently viewing image: 42 of 65
Previous - Next

Current sheet label: 20
Jump to sheet label:

Print map from PDF
Download full image
Download current view

Locations:
Beaver & Co., Soap Works
Columbia Cigar Factory
Connable, R. M., & Co., Overall Fac
Dayton Fertilizer Works
Dayton Gauge Co
Dayton Hotel
Dayton Public Library
Dayton Wheel Works
German Luth. St. Johns Church
McSherry, J. W., Putty Works
Miller Bros., Cigar Factory
Montgomery House
Murray & Hannah, Carriage Fact
Nixon, A. H., Tobacco Warehouse
Pinnes & Daniels, Wheel Works
St. Johns Germ. Evang. L. Church
St. Josephs Church
St. Josephs Public School
St. Marys Academy
Schaefer & Benson Tablet Co
Stimson, E. A., & Co., Steam Fitters
Stomps, G., & Co., Chair Ware H
Timmer, J., Chair Factory
Troy Steam Laundry
Union Collar & Net Co
Wild, J. H., & Co., Woolen Mills

Streets:
Canal
First, E [300-540]
Madison
New Market
Race
St. Clair, N [2-44]
Sears [1-140]
Second, E [200-244]
Second, E [300-545]
Third, E [201-645]
Webster [1-145]