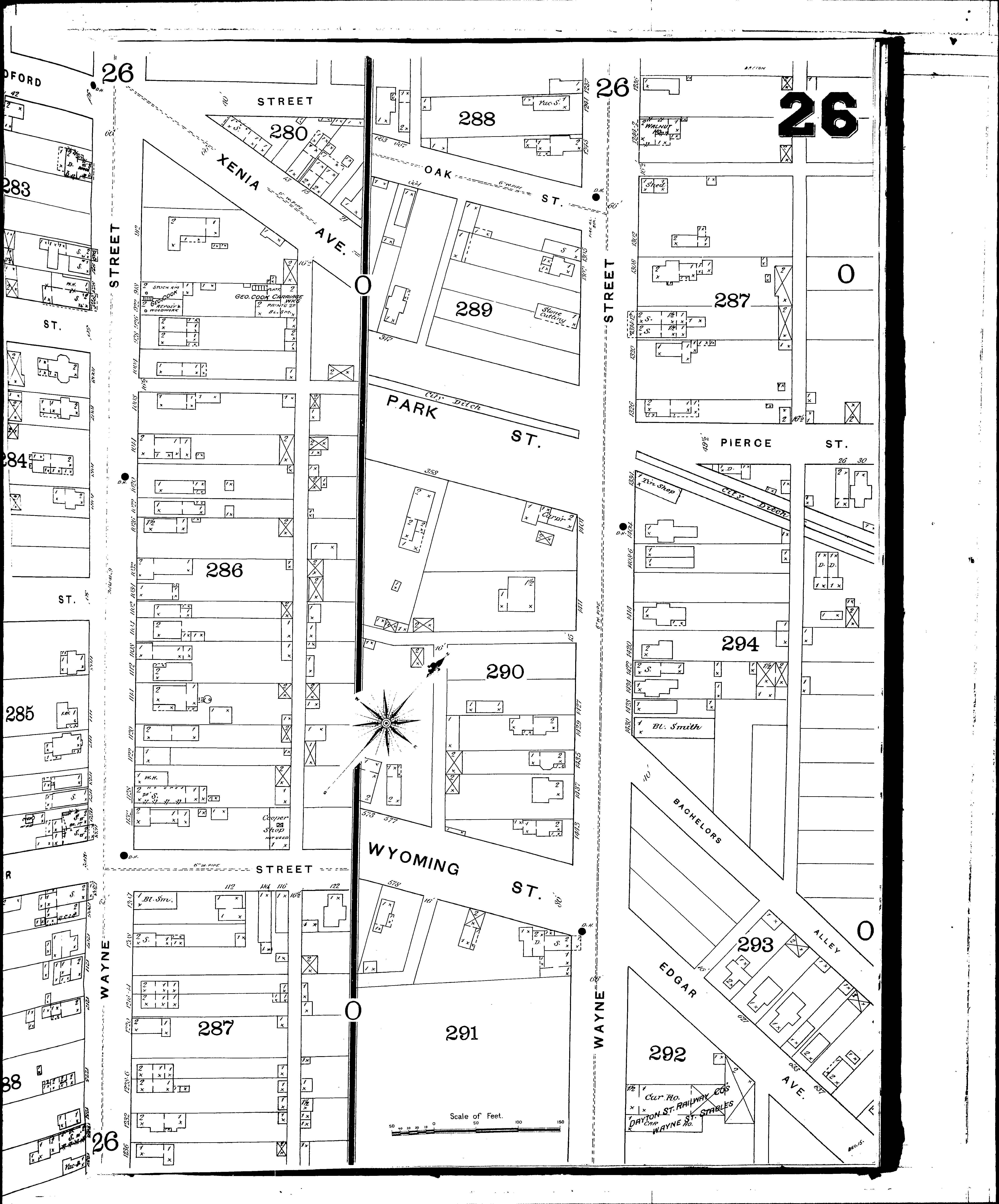
County: Montgomery Co.
City: Dayton
Date: 1887
Currently viewing image: 55 of 65
Previous - Next

Current sheet label: 26
Jump to sheet label:

Print map from PDF
Download full image
Download current view

Locations:
Cook, G., Carriage Works
Dayton Street Railway Stables
Market House, near Wayne St
Schiml, M., Brewery
Wayne Street, Brewery
Wayne Street, Railway Stables

Streets:
Adams [530-547]
Bachelors Alley, near Wayne
Bradford [27-130]
Clover, W [59-122]
Eagle, near Richard
Edgar [600-645]
Herman [602-625]
Hickory [623-640]
Johnson [325-340]
Monroe [597-620]
Oak [663-678]
Park [347-360]
Pearl, near Wayne
Pierce [1-32]
Richard [643-728]
Wayne [601-1540]
Wyoming [573-590]
Xenia Ave [1-30]