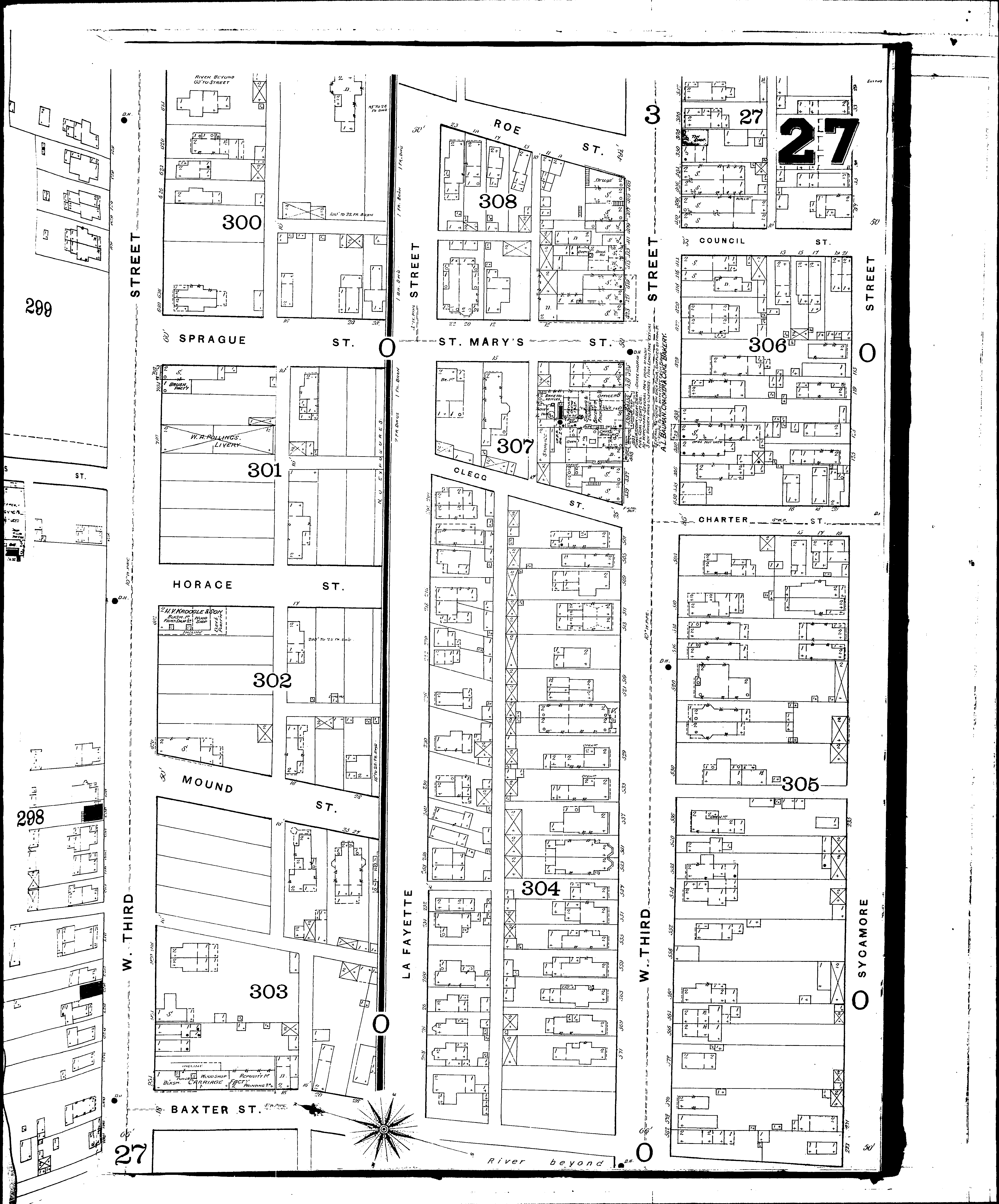
County: Montgomery Co.
City: Dayton
Date: 1887
Currently viewing image: 57 of 65
Previous - Next

Current sheet label: 27
Jump to sheet label:

Print map from PDF
Download full image
Download current view

Locations:
Bauman, A. L., Cracker Bakery
Kroogle, H. V., & Son, Carr. Shop
Smith & Co., Carriage Fact
Walton & Kelley, Carriage Factory

Streets:
Baxter [1-30]
Broadway, N [2-30]
Broadway, S [2-30]
Charter, near W. Third St
Clegg [1-20]
Council [1-24]
Grimes, near Third
Horace [1-28]
Lafayette [2-276]
Mound [1-32]
Roe [1-25]
St. Marys [1-24]
Sprague [1-28]
Sycamore [43-277]
Third, W [401-584]
Third, W [610-1158]
Williams, N [1-30]
Williams, S [1-32]