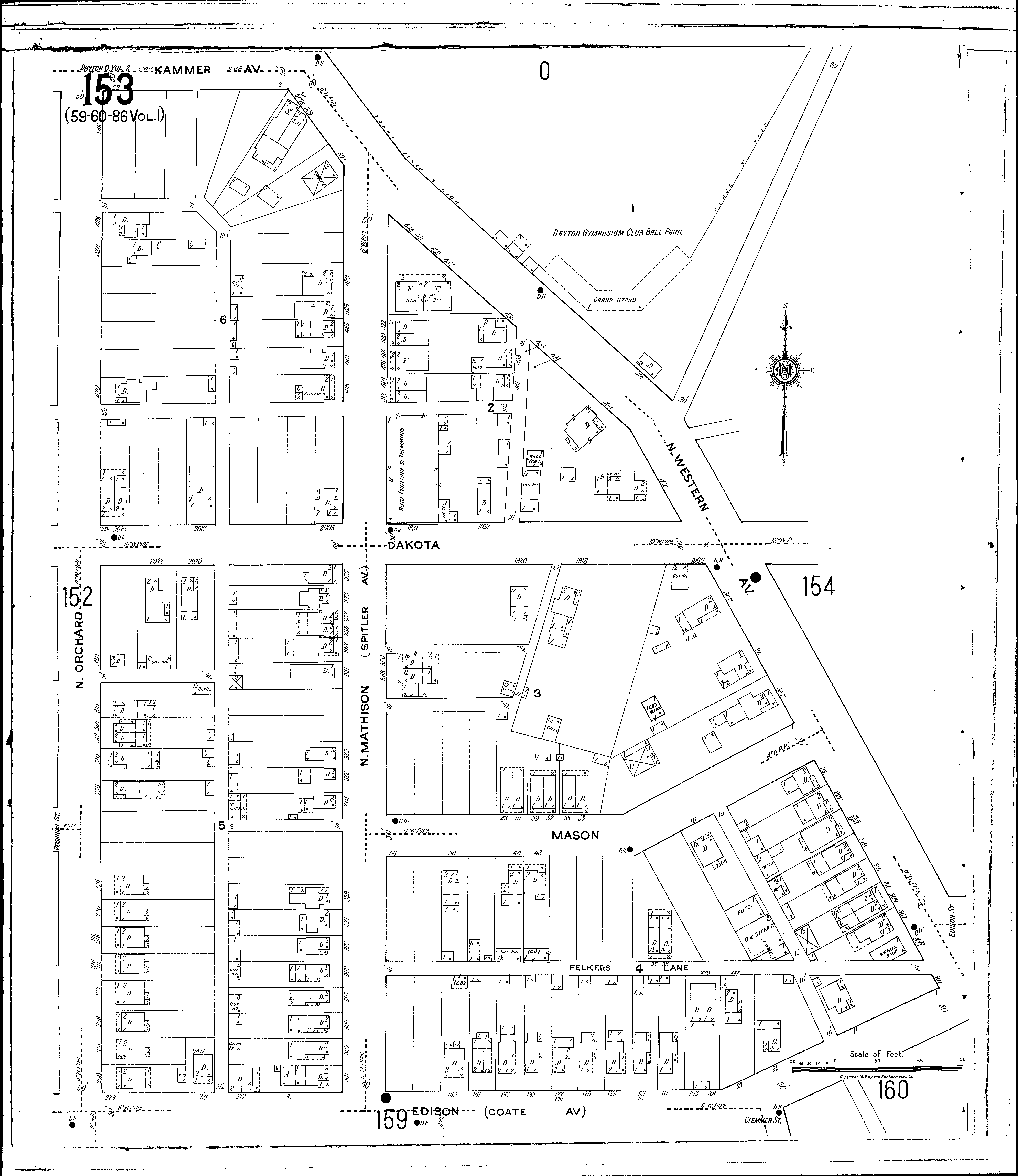
County: Montgomery Co.
City: Dayton
Date: 1918-1932 vol. 2, 1919
Currently viewing image: 6 of 108
Previous - Next

Current sheet label: 153
Jump to sheet label:

Print map from PDF
Download full image
Download current view

A full color archival version of this map is available from the Kent State University Institutional Repository.

Locations:
Dayton Gym. Club Ball Park and Buildings

Streets:
Coate Ave [1-229]
Dakota [1900-2031]
Edison [1-229]
Felkers Lane
Kammer Ave [2-22]
Mason [1-56]
Mathison, N [300-441]
Monument Ave., W [1-229]
Orchard, N [200-448]
School Place [1-229]
Western Ave., N [301-411]
Western Ave., N [412-511]