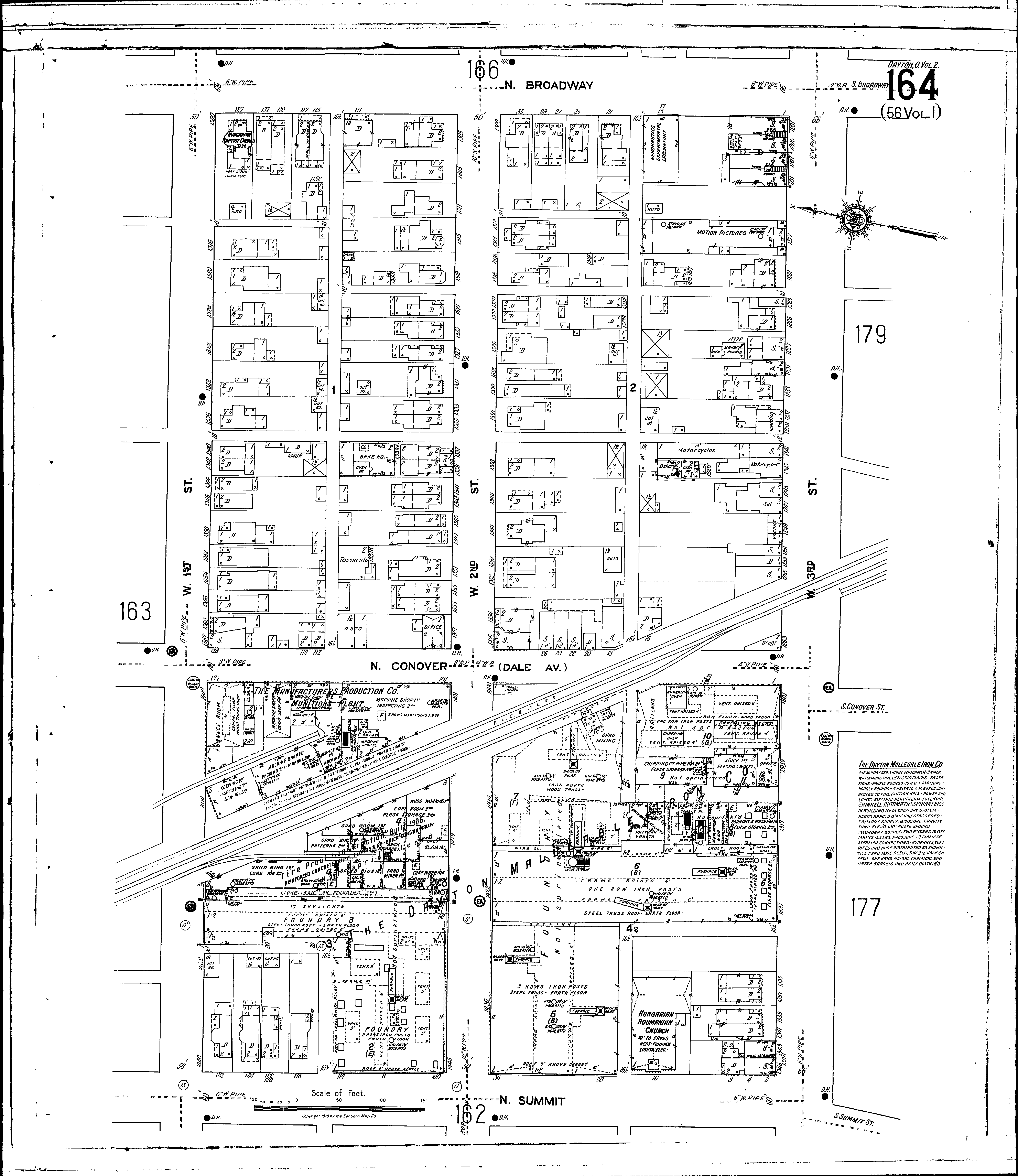
County: Montgomery Co.
City: Dayton
Date: 1918-1932 vol. 2, 1919
Currently viewing image: 17 of 108
Previous - Next

Current sheet label: 164
Jump to sheet label:

Print map from PDF
Download full image
Download current view

A full color archival version of this map is available from the Kent State University Institutional Repository.

Locations:
Aeronautics Experimental Laboratory, 15 N. Broadway
Hungarian Baptist Church
Hungarian Roumanian Church
Manufactures Production Co., Munition Plt

Streets:
Broadway, N [1-127]
Conover, N [1-128]
Dale Ave [1-128]
First, W [1300-1444]
Second, W [1300-1445]
Summit, N [2-128]
Third, W [1201-1345]