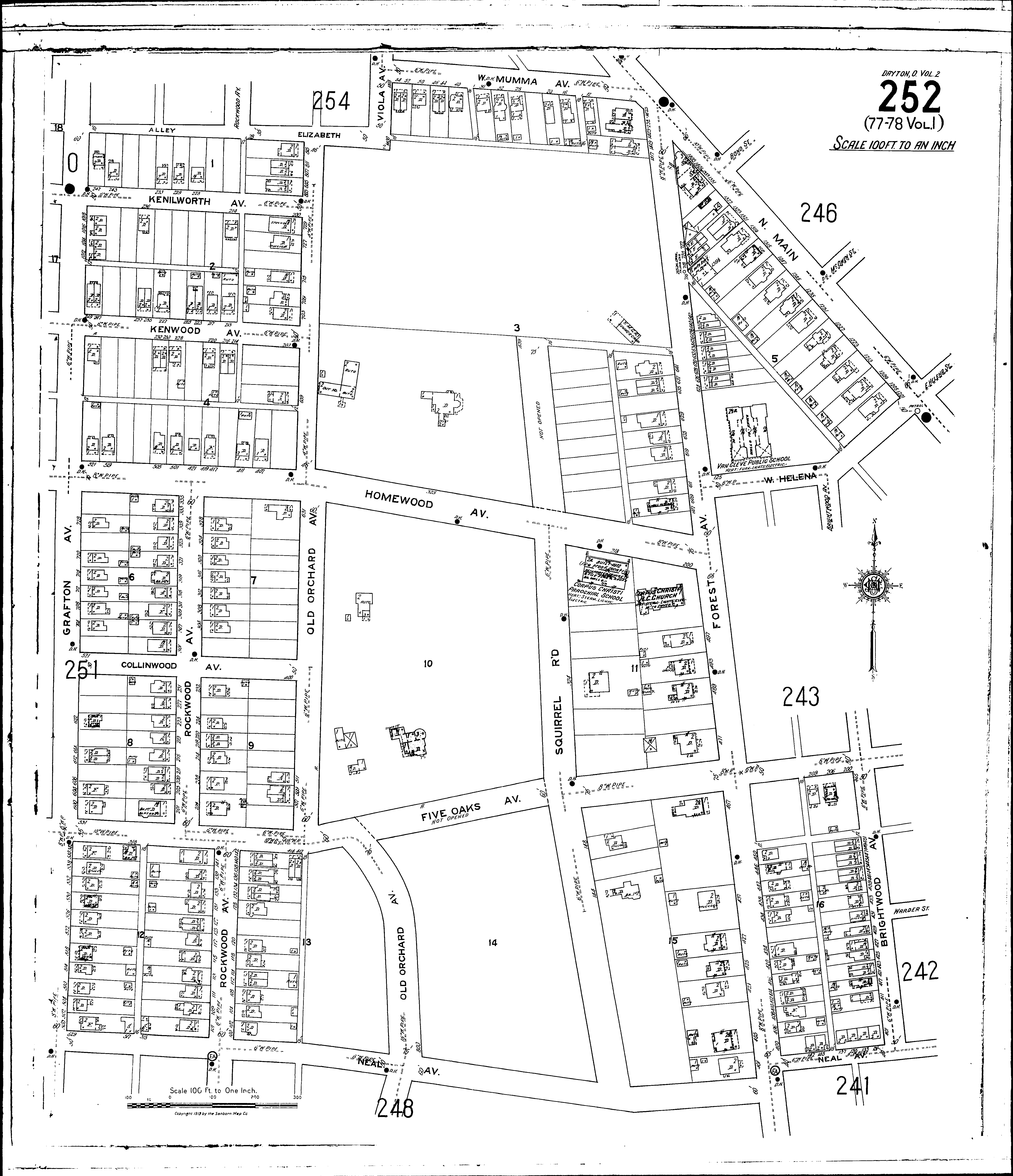
County: Montgomery Co.
City: Dayton
Date: 1918-1932 vol. 2, 1919
Currently viewing image: 105 of 108
Previous - Next

Current sheet label: 252
Jump to sheet label:

Print map from PDF
Download full image
Download current view

A full color archival version of this map is available from the Kent State University Institutional Repository.

Locations:
Corpus Christi R. C. Church and School
Van Cleve Public School

Streets:
Brightwood Ave [401-469]
Collinwood Ave [400-521]
Elizabeth [2-28]
Five Oaks Ave [200-224]
Five Oaks Ave [300-531]
Forest Ave [400-469]
Forest Ave [471-525]
Forest Ave [600-739]
Grafton Ave [500-1014]
Helena, W [1-125]
Homewood Ave [200-521]
Kenilworth Ave [200-247]
Kenwood Ave [200-249]
Main, N [1201-1425]
Mumma Ave., W [2-54]
Neal Ave [121-529]
Rockwood Ave [100-335]
Squirrel Road [200-439]
Viola Ave [1400-1416]