County: Montgomery Co.
City: Dayton
Date: 1918-Dec. 1950 vol. 1, 1918-Oct. 1950
Currently viewing image: 10 of 109
Previous - Next

Current sheet label: 4
Jump to sheet label:

Print map from PDF
Download full image
Download current view

A full color archival version of this map is available from the Kent State University Institutional Repository.

Locations:
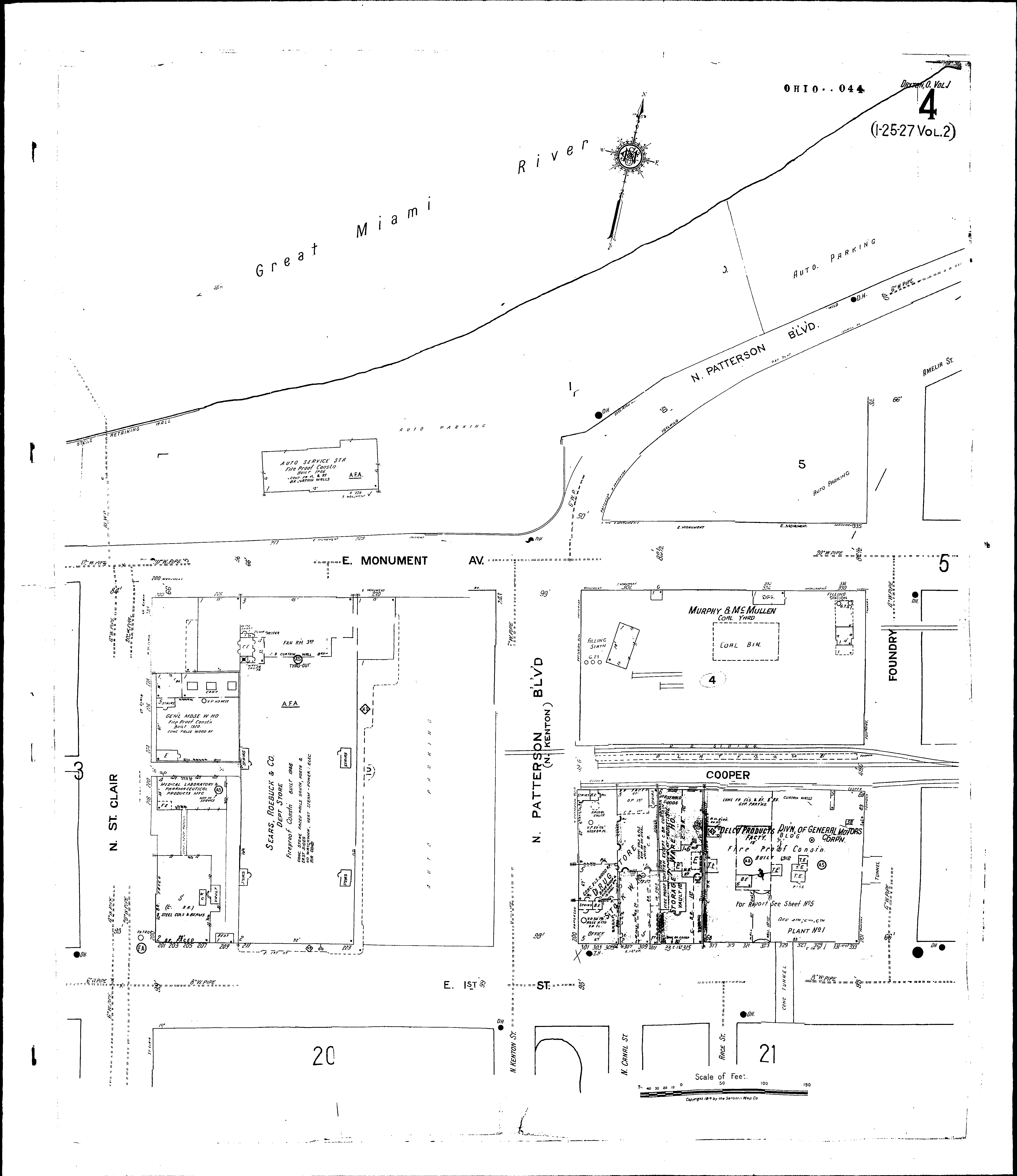
General Motors Corp., Delco Prod. Div.: Plant No. 1
Sears, Roebuck & Co., Dept. Store
Dayton Power and Light Co.: Office, Warehouse, &c
Delco Products Corpn: Building No. 1
Murphy & McMullen, Coal Yard
Pioneer Wagon Works
St. Clair Plating Co

Streets:
Cooper
First, E [201-335]
Foundry [201-315]
Monument Ave., E [200-339]
Patterson, Boulevard, N [200-345]
St. Clair, N [200-248]