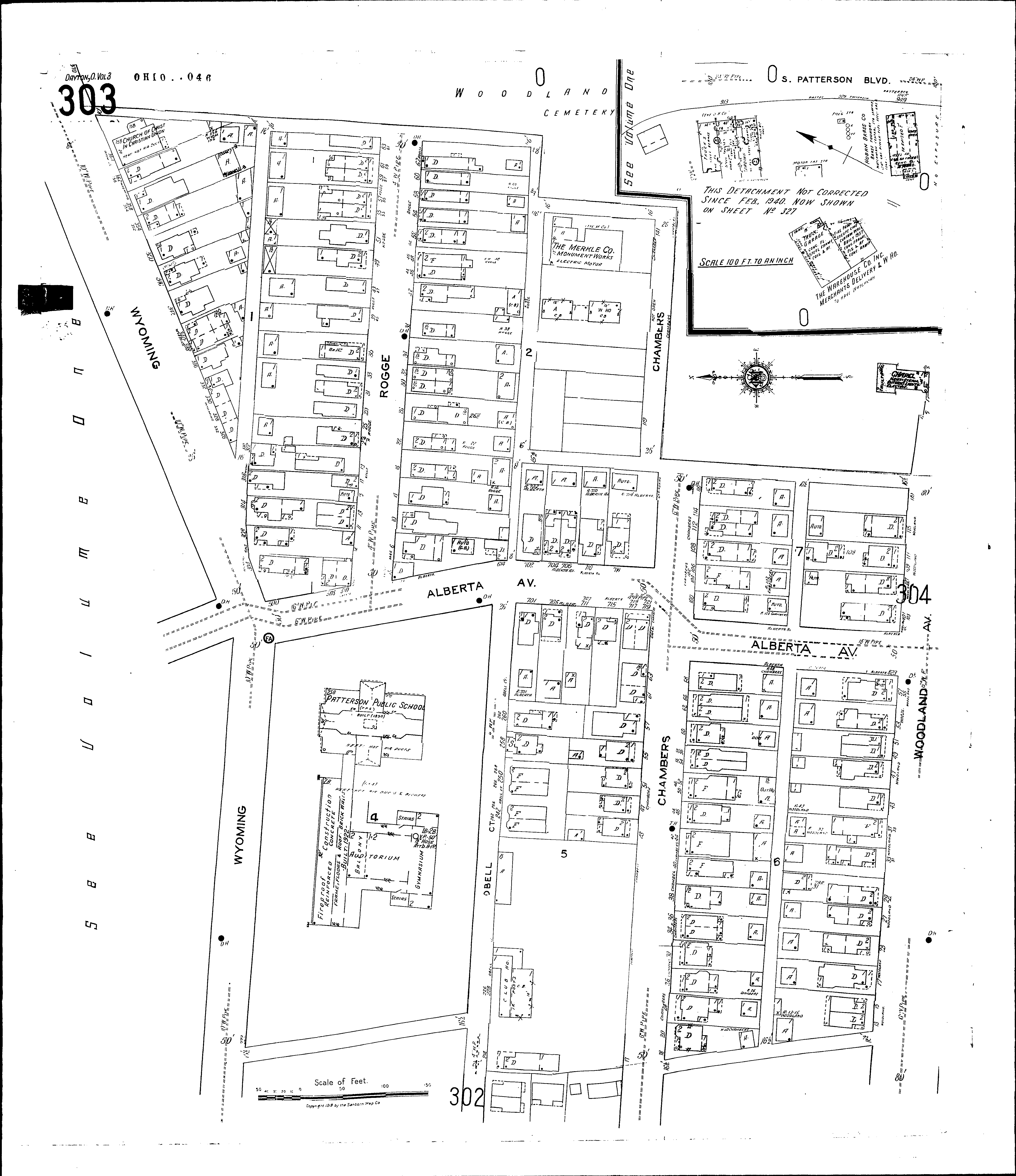
County: Montgomery Co.
City: Dayton
Date: 1918-Dec. 1950 vol. 3, 1918-Nov. 1950
Currently viewing image: 7 of 112
Previous - Next

Current sheet label: 303
Jump to sheet label:

Print map from PDF
Download full image
Download current view

A full color archival version of this map is available from the Kent State University Institutional Repository.

Locations:
Church of Christ in Christian Union
Boehners, J., Greenhouses
Dayton Bread Co
House of Jacob, Synagogue
Merkle Co., Monument Works
Patterson Public School
Warehouse Co., Merchants Delivery, &c

Streets:
Obell Court [214-218]
Alberta Ave [500-829]
Chambers [17-142]
Obell Court [220-289]
Patterson Blvd, S., near Dayton Bread Co
Rogge [1-64]
Woodland Ave [13-129]
Wyoming [224-370]