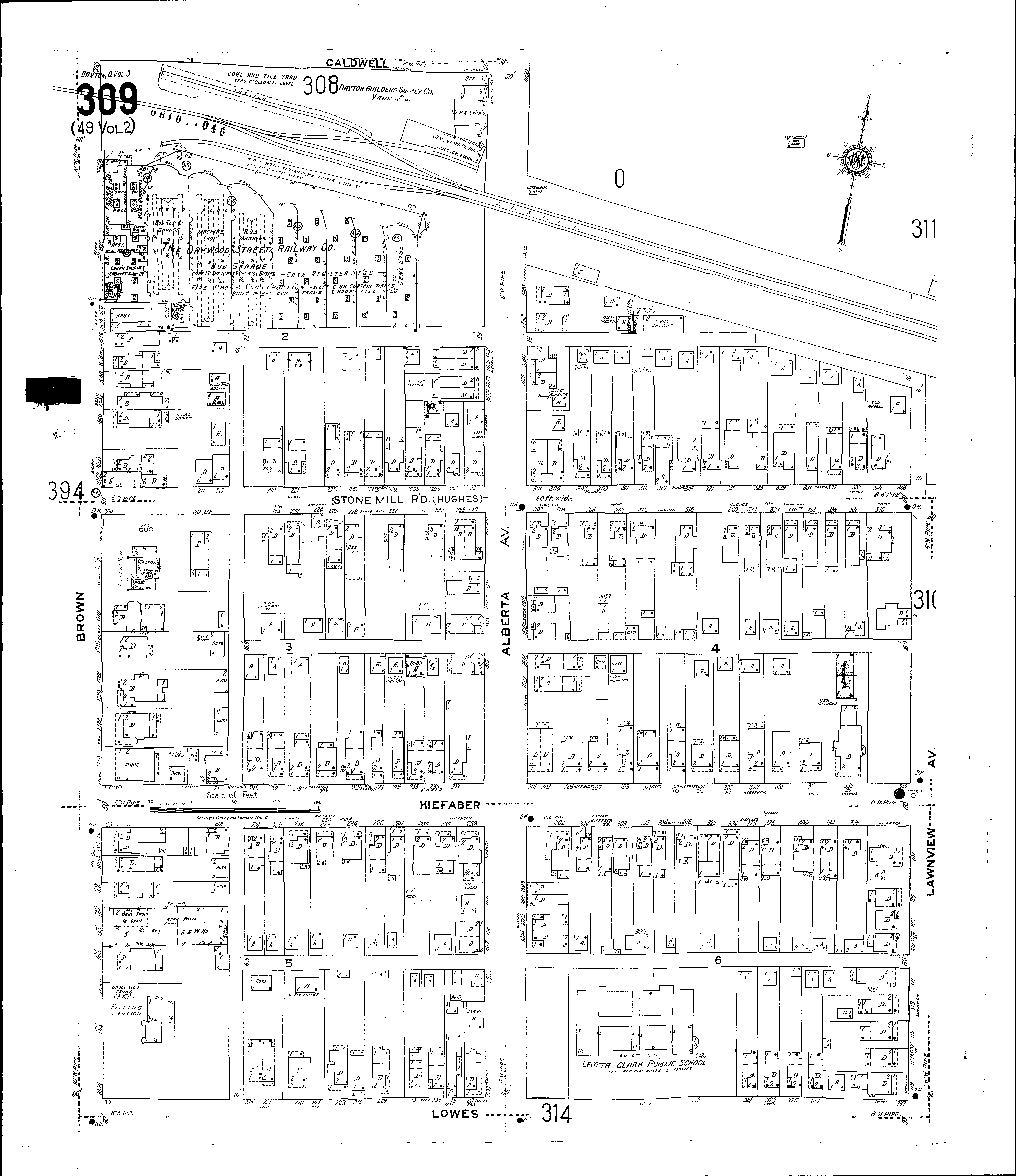
County: Montgomery Co.
City: Dayton
Date: 1918-Dec. 1950 vol. 3, 1918-Nov. 1950
Currently viewing image: 13 of 112
Previous - Next

Current sheet label: 309
Jump to sheet label:

Print map from PDF
Download full image
Download current view

A full color archival version of this map is available from the Kent State University Institutional Repository.

Locations:
Clark, Leotta, Public School
Dayton Builders Supply Co., Yard C
Leotta Clark Public School
Oakwood Street Railway Co., Car Barns

Streets:
Alberta Ave [1400-1635]
Brown [1600-1834]
Caldwell [200-244]
Kiefaber [200-345]
Lawnview Ave [1-119]
Lowes [201-337]
Stone Mill Road [200-345]