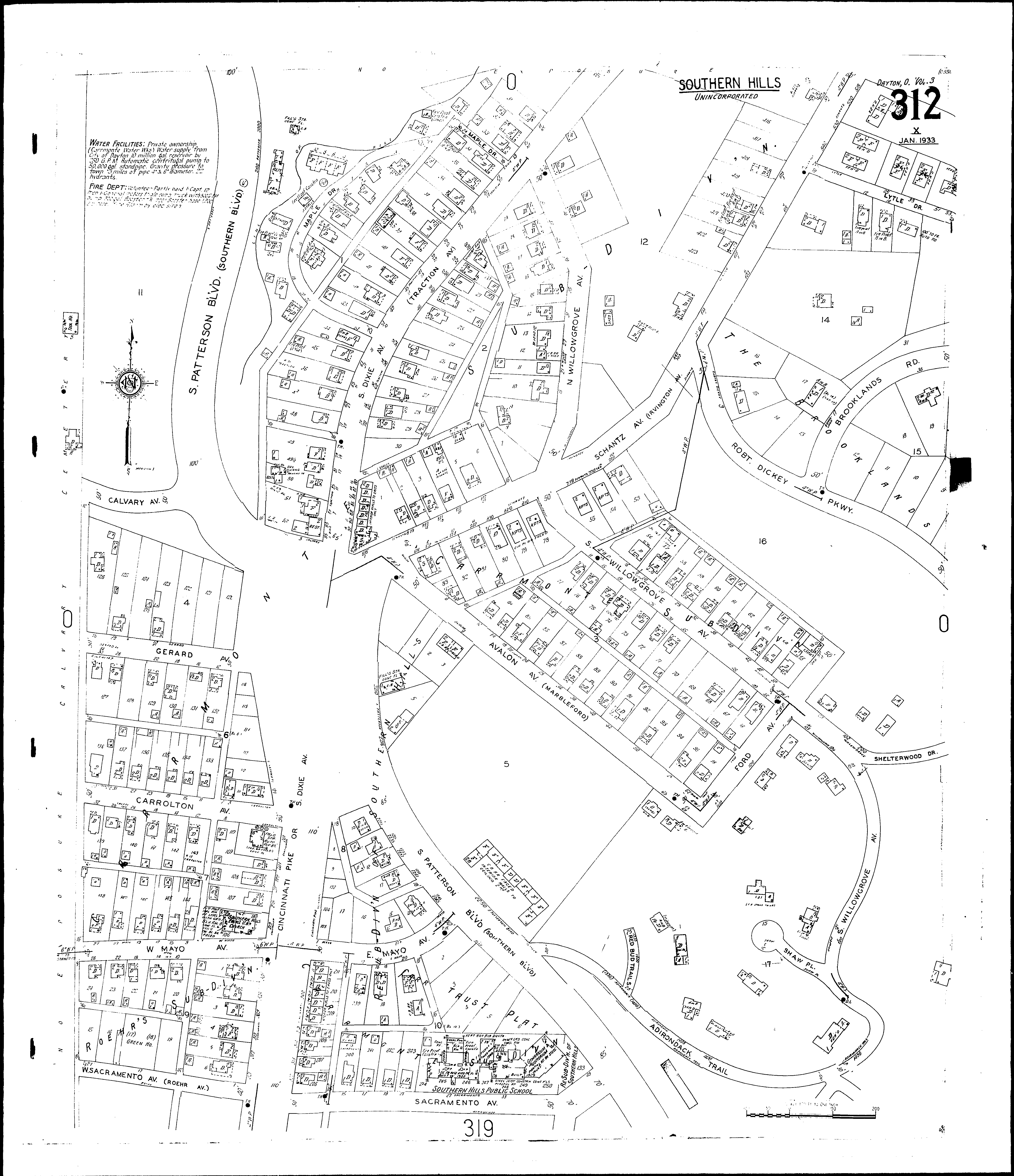
County: Montgomery Co.
City: Dayton
Date: 1918-Dec. 1950 vol. 3, 1918-Nov. 1950
Currently viewing image: 16 of 112
Previous - Next

Current sheet label: 312
Jump to sheet label:

Print map from PDF
Download full image
Download current view

A full color archival version of this map is available from the Kent State University Institutional Repository.

Locations:
Fire Department, at Southern Hills
Grant, E. R., Greenhouse
Southern Hills Public School
Southern Hills U. B. Church

Streets:
Adirondack Trail, at Southern Hills
Dixie Ave., S., at Southern Hills [1-322]
Lytle Drive, at Southern Hills [1-24]
Patterson Blvd., S., at Southern Hills [2210-2345]
Schantz Ave., at Southern Hills [522-899]
Shaw Place, at Southern Hills
Willowgrove Ave., at Southern Hills
Willowgrove Ave., S., at Southern Hills [103-214]
Lytle Drive [1-56]
Red Bud Trails
Shelterwood Drive
Avalon Ave., at Southern Hills [1-64]
Brooklands Road, at Southern Hills
Calvary Ave., at Southern Hills
Carrolton Ave., at Southern Hills [1-34]
Cincinnati, Pike, at Southern Hills [1-322]
Dixie Ave., at Southern Hills [1-322]
Ford Ave., at Southern Hills
Gerard Ave., at Southern Hills [1-36]
Irvington Ave., at Southern Hills
Lytle Lane, at Southern Hills
Maple Drive, at Southern Hills
Marbleford, at Southern Hills [1-64]
Mayo Ave., E., at Southern Hills
Mayo Ave., W., at Southern Hills [1-26]
Patterson Blvd, S., at Southern Hills
Robert Dickey Parkway, at Southern Hills
Roehr Ave [1-27]
Sacramento Ave., at Southern Hills [1-59]
Sacramento Ave., W., at Southern Hills [1-27]
Southern Boulevard, at Southern Hills
Traction Ave.: at Southern Hills [1-120]
Traction Ave.: N., at Southern Hills [1-120]
Traction Ave.: S., at Sthern Hills [1-322]
Willowgrove Ave.: N., at Southern Hills [1-56]
Willowgrove Ave.: S., at Southern Hills [1-102]