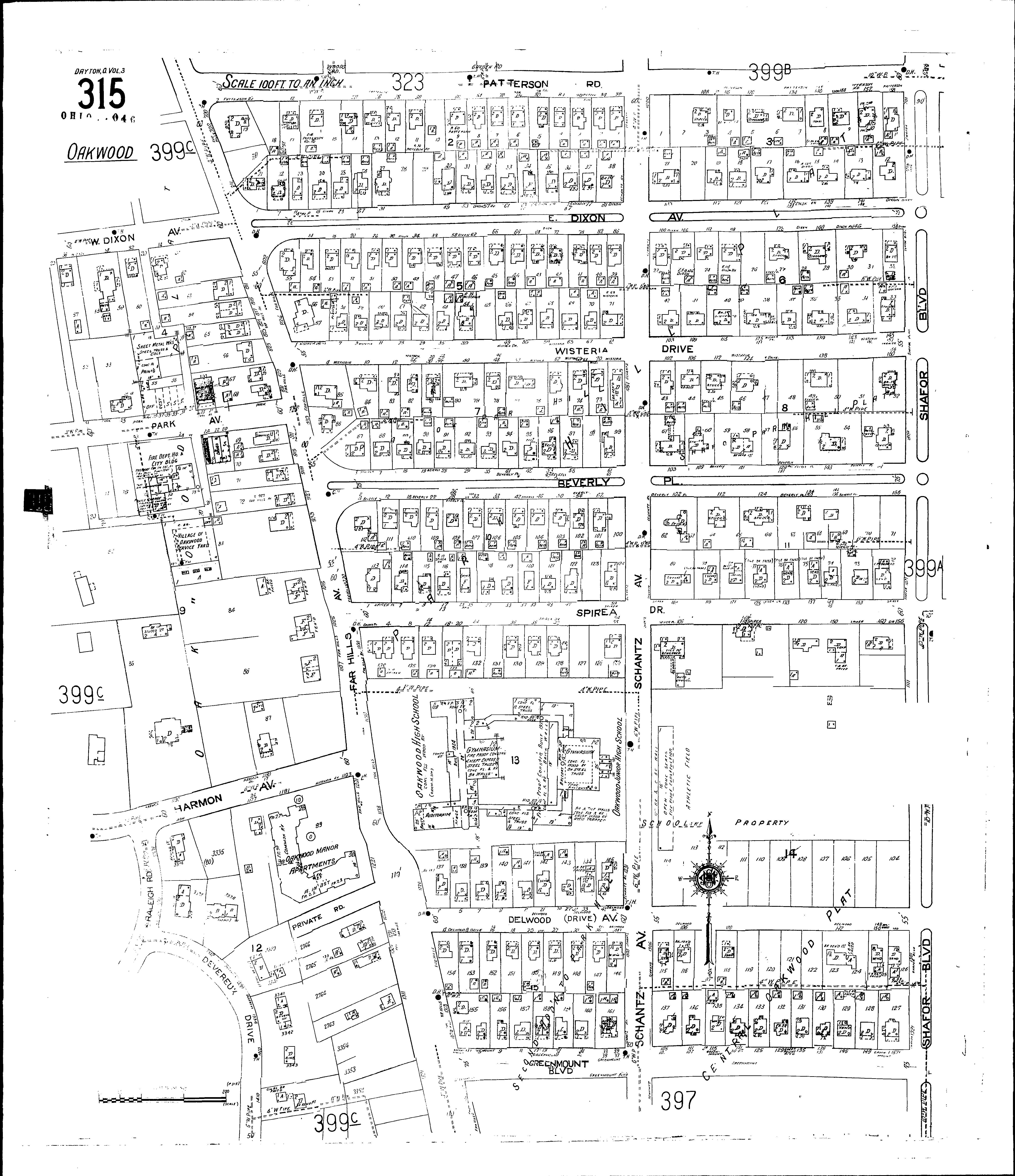
County: Montgomery Co.
City: Dayton
Date: 1918-Dec. 1950 vol. 3, 1918-Nov. 1950
Currently viewing image: 19 of 112
Previous - Next

Current sheet label: 315
Jump to sheet label:

Print map from PDF
Download full image
Download current view

A full color archival version of this map is available from the Kent State University Institutional Repository.

Locations:
Fire Department: at Oakwood
St. Albert The Great R. C. Church & Sch
City Building, at Oakwood
Fire Department, at Oakwood
Library and Art School, at Oakwood
Oakwood High School
Oakwood Junior High School
Oakwood Manor Apartments
Village of Oakwood, Service Yards

Streets:
Beverly Place, at Oakwood [1-160]
Delwood Ave., at Oakwood
Devereux Drive, at Oakwood
Dixon Ave., E., at Oakwood [1-160]
Dixon Ave., W., at Oakwood [1-18]
Dixon Ave., W., at Oakwood [20-36]
Far Hills Ave., at Oakwood [700-1325]
Greenmount Boulevard, at Oakwood [1-157]
Harmon Ave., at Oakwood [1124-1199]
Patterson Road, at Oakwood [2-160]
Raleigh Road, at Oakwood
Schantz Ave., at Oakwood [700-1319]
Shafor Boulevard, at Oakwood [701-1335]
Spirea Drive, at Oakwood [1-166]
Wistaria Drive, at Oakwood [1-160]
Woodstock Drive, at Oakwood