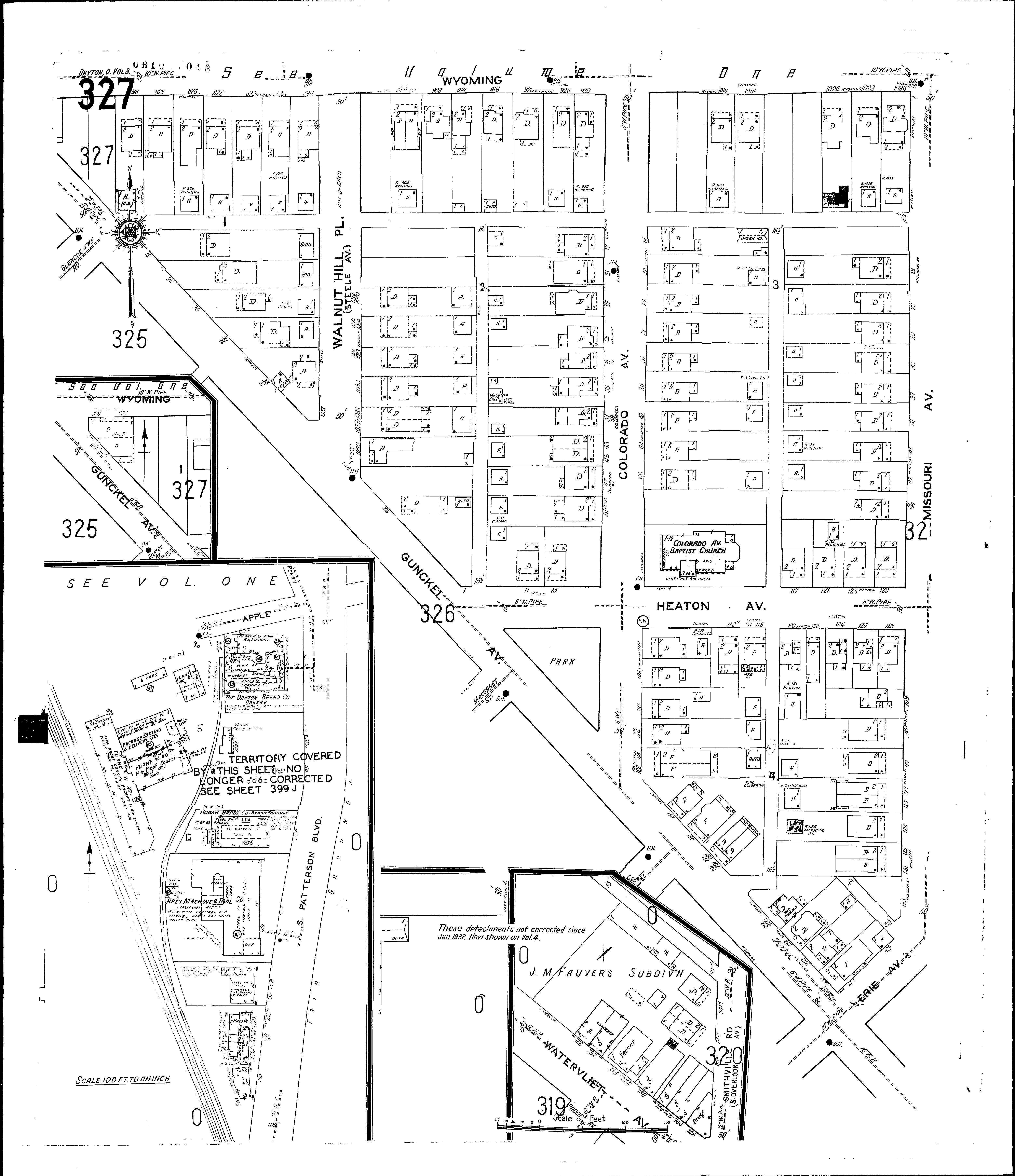
County: Montgomery Co.
City: Dayton
Date: 1918-Dec. 1950 vol. 3, 1918-Nov. 1950
Currently viewing image: 31 of 112
Previous - Next

Current sheet label: 327
Jump to sheet label:

Print map from PDF
Download full image
Download current view

A full color archival version of this map is available from the Kent State University Institutional Repository.

Locations:
Apex Machine and Tool Co
Dayton Bread Co
Hogan Brass Co
Colorado Avenue Baptist Church

Streets:
Patterson Blvd., S [910-1169]
Colorado Ave [1-118]
Erie Ave [101-109]
Gunckel Ave [2-220]
Heaton Ave [1-130]
Missouri Ave [1-145]
Steele Ave [1000-1041]
Walnut Hill Place [1000-1041]
Wyoming [800-1034]