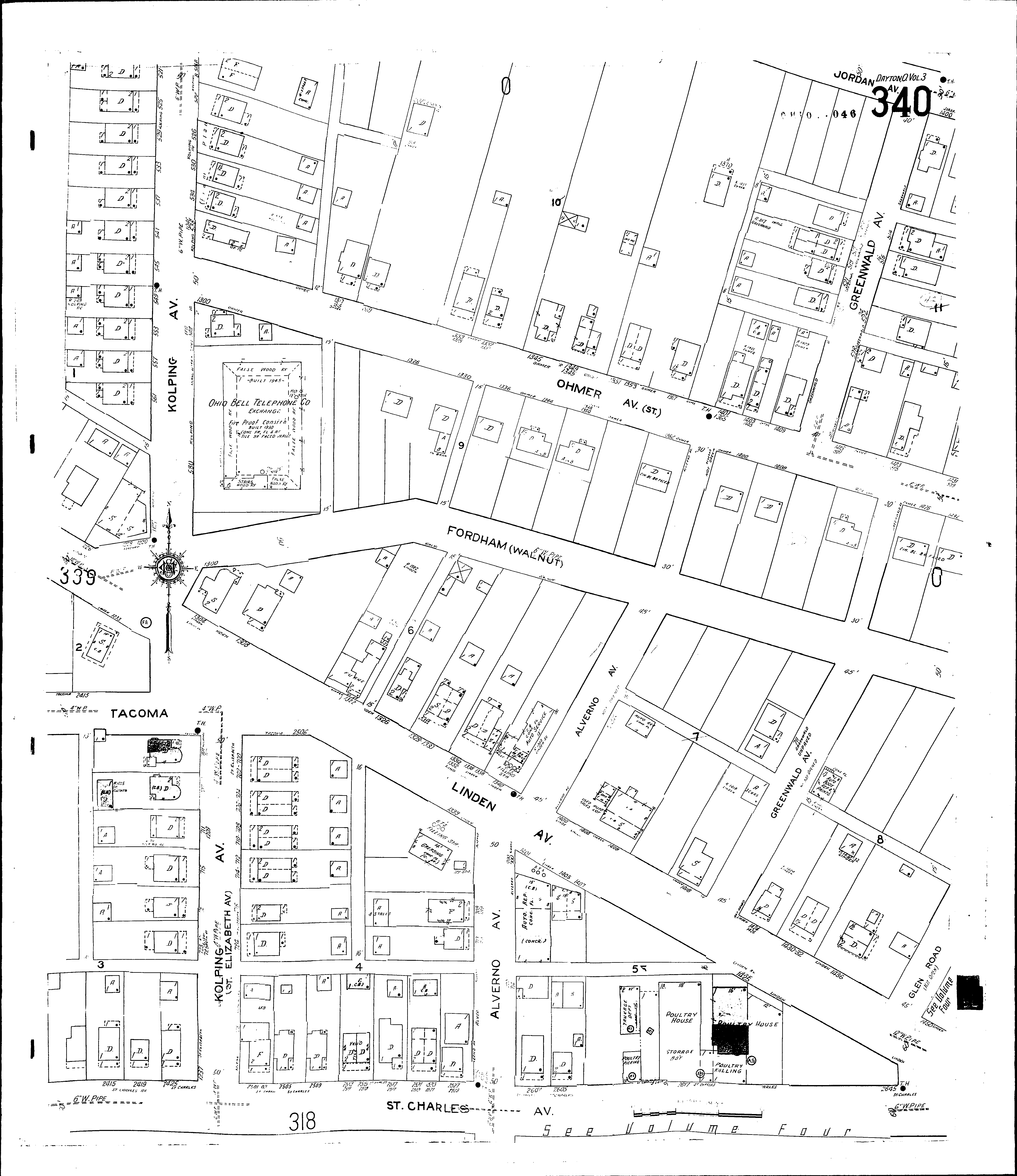
County: Montgomery Co.
City: Dayton
Date: 1918-Dec. 1950 vol. 3, 1918-Nov. 1950
Currently viewing image: 44 of 112
Previous - Next

Current sheet label: 340
Jump to sheet label:

Print map from PDF
Download full image
Download current view

A full color archival version of this map is available from the Kent State University Institutional Repository.

Locations:
Ohio Bell Telephone Co.: Exchange, 580 Kolping Ave

Streets:
Alverno Ave [500-725]
Greenwald Ave
Ohmer Ave [1300-1435]
Alverno Ave [700-725]
Fordham
Glen Road
Greenwald
Jordan Ave
Klee Ave [200-241]
Kolping Ave [518-739]
Linden Ave [1226-1449]
Ohmer [1300-1509]
St. Charles Ave [2415-2645]
Tacoma [2414-2509]
Walnut