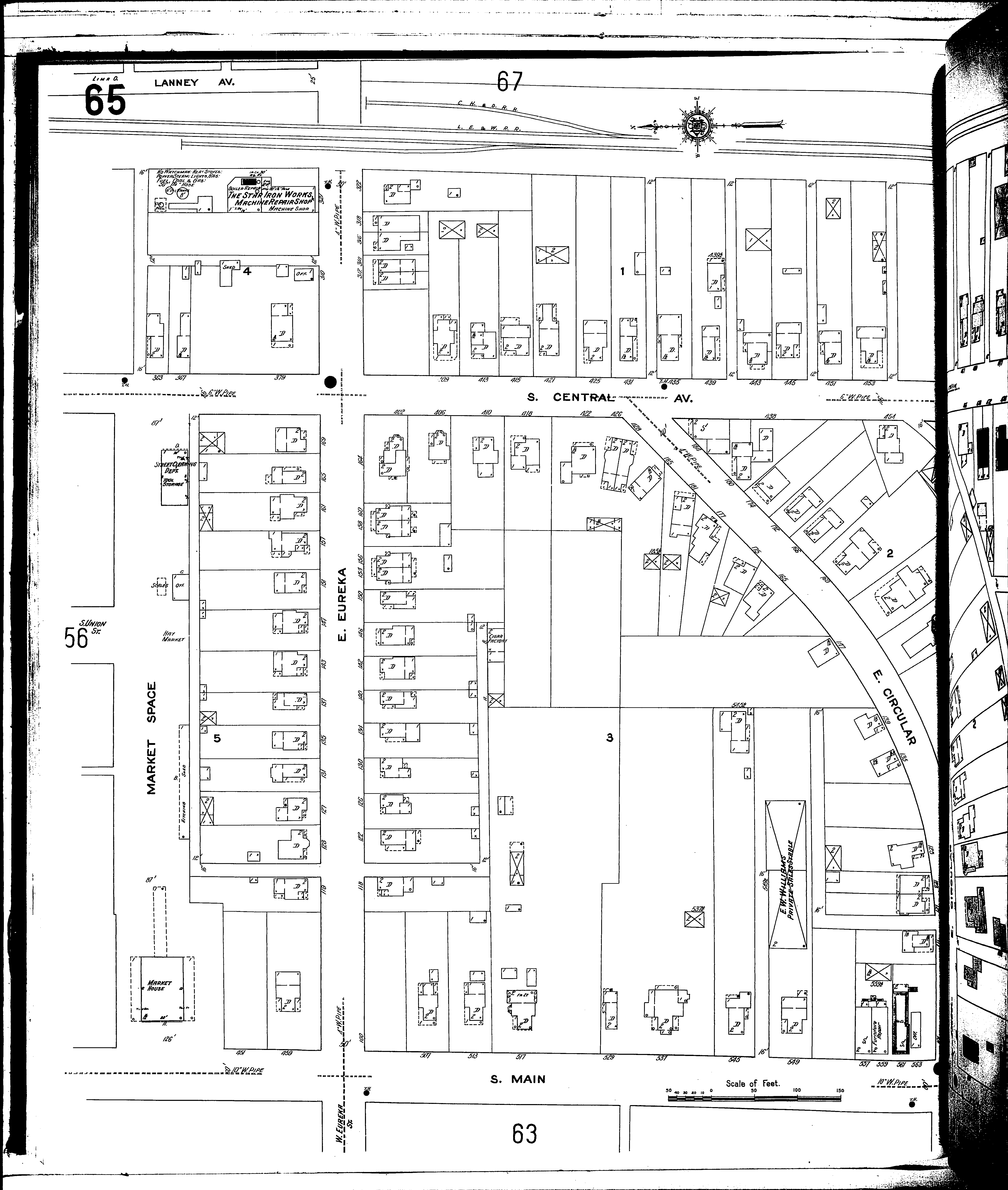
County: Allen Co.
City: Lima
Date: 1911
Currently viewing image: 69 of 97
Previous - Next

Current sheet label: 65
Jump to sheet label:

Print map from PDF
Download full image
Download current view

A full color archival version of this map is available from the Kent State University Institutional Repository.

Locations:
Market House
Star Iron Works
Street Cleaning Dept., Tool Storage

Streets:
Central Ave., S [362-455]
Circular, E [101-147]
Circular, E [148-189]
Eureka, E [100-323]
Main, S [445-563]