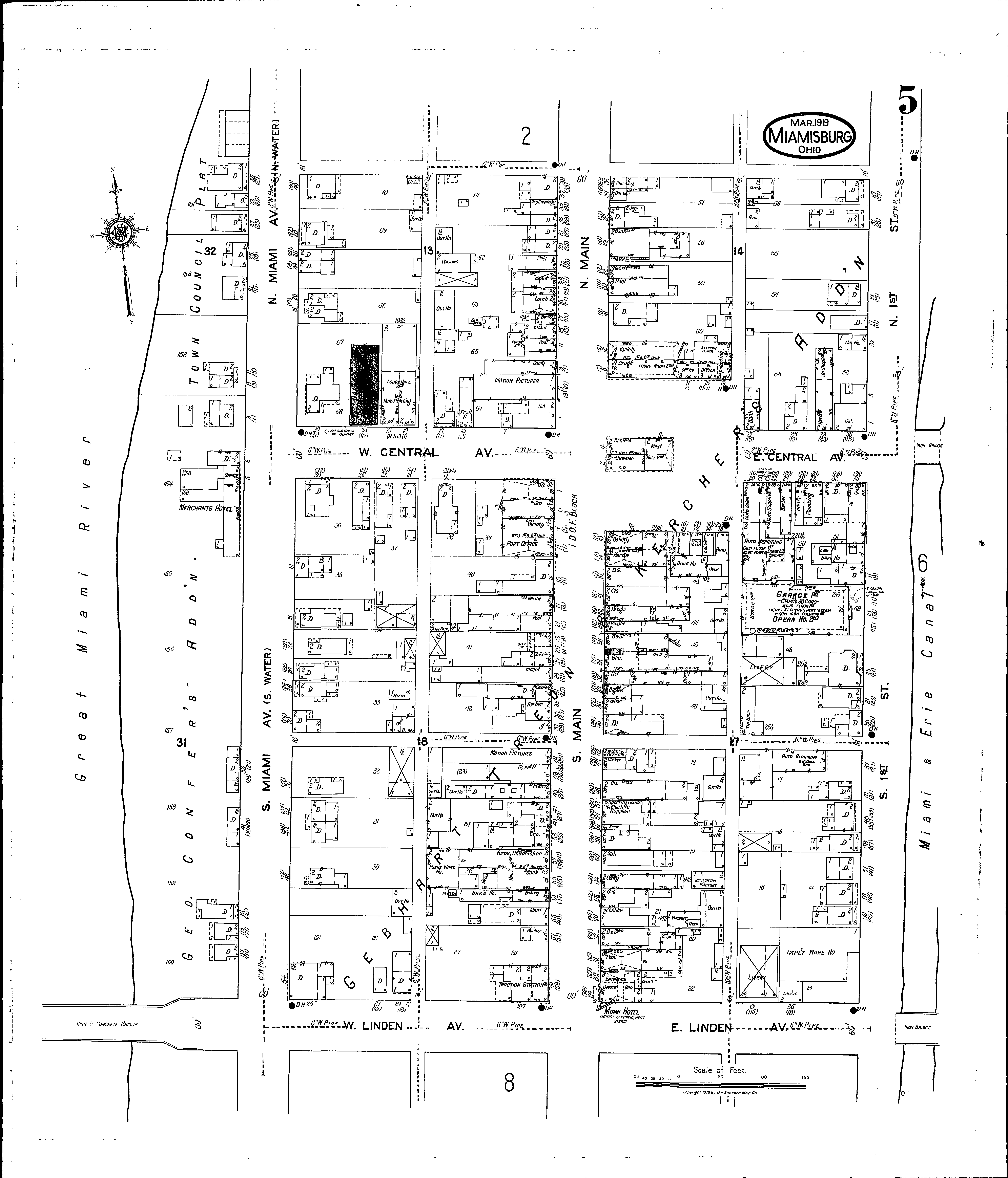
County: Montgomery Co.
City: Miamisburg
Date: Mar. 1919
Currently viewing image: 5 of 13
Previous - Next

Current sheet label: 5
Jump to sheet label:

Print map from PDF
Download full image
Download current view

Locations:
I. O. O. F. Block
Merchants Hotel
Miami Hotel
Opera House
Post Office

Streets:
Central Ave., E [1-36]
Central Ave., W [1-32]
First, N [1-37]
First, S [1-69]
Linden Ave., E [1-35]
Linden Ave., W [1-27]
Main, N [1-39]
Main, S [1-84]
Market [1-27]
Miami Ave., N [1-40]
Miami Ave., S [1-56]
Water, N [1-40]
Water, S [1-56]