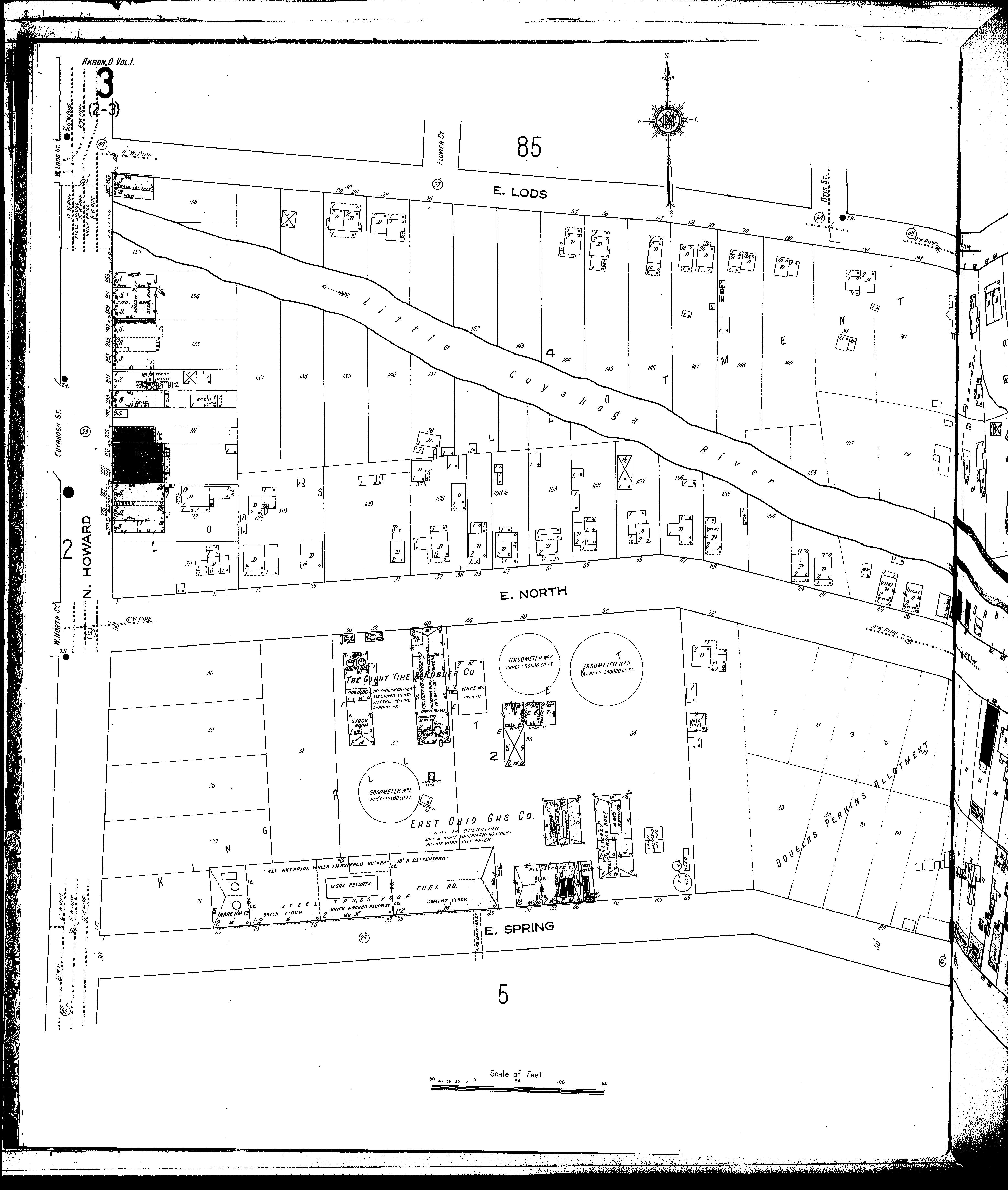
County: Summit Co.
City: Akron
Date: 1916 vol. 1
Currently viewing image: 8 of 100
Previous - Next

Current sheet label: 3
Jump to sheet label:

Print map from PDF
Download full image
Download current view

A full color archival version of this map is available from the Kent State University Institutional Repository.

Locations:
East Ohio Gas Co., Coal House, &c
Giant Tire and Rubber Co

Streets:
Howard, N [175-269]
Lods, E [2-94]
North, E [1-94]
Spring, E [1-89]

Additions:
Douglas Perkins Allotment
King Allotment
Lods Allotment
Perkins, D., Allotment