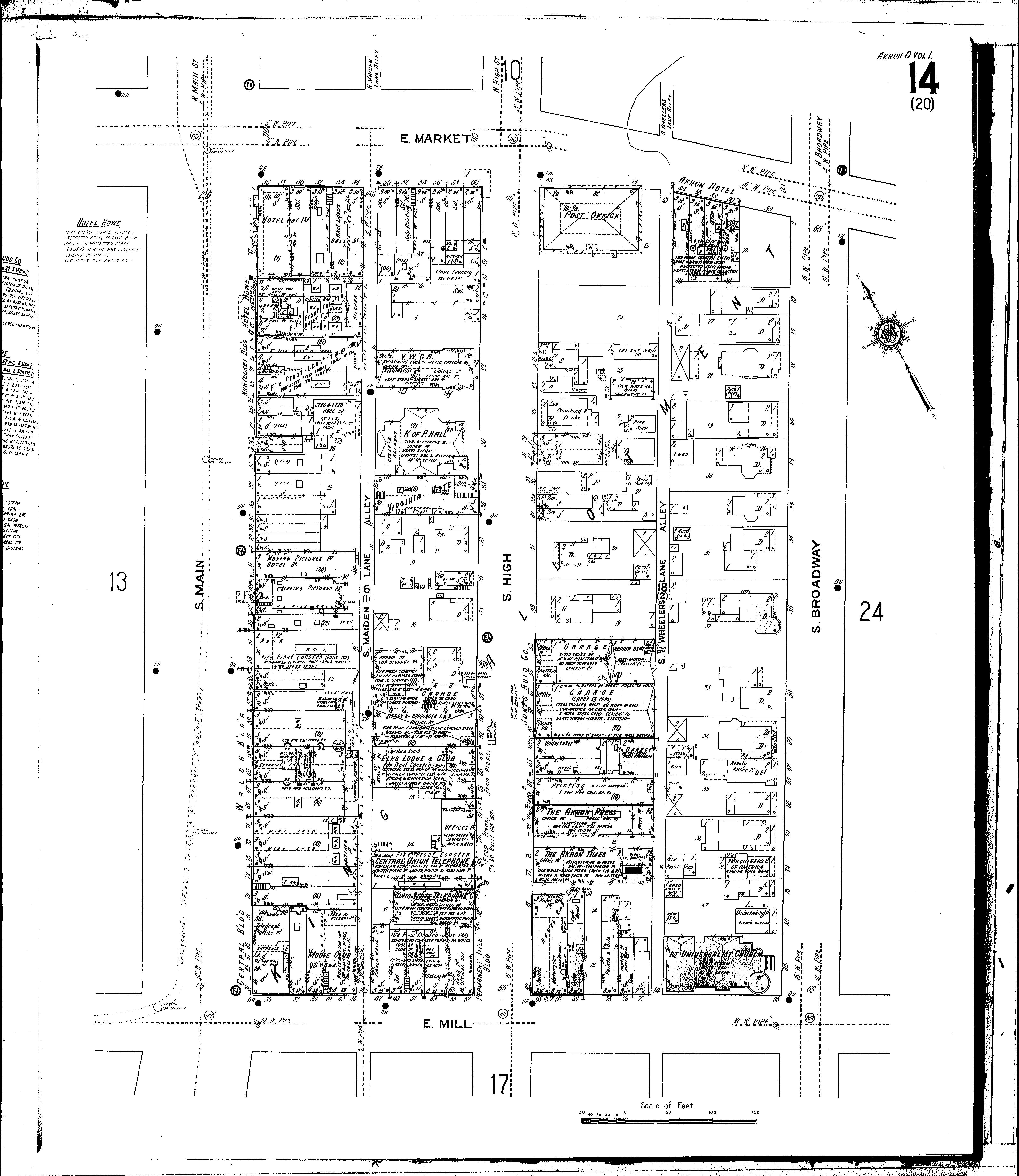
County: Summit Co.
City: Akron
Date: 1916 vol. 1
Currently viewing image: 19 of 100
Previous - Next

Current sheet label: 14
Jump to sheet label:

Print map from PDF
Download full image
Download current view

A full color archival version of this map is available from the Kent State University Institutional Repository.

Locations:
Akron Hotel
Akron Press, Printing
Akron Times, Printing
Central Building
Central Union Telephone Co
Elks Lodge and Club
First Universalist Church
Hotel Howe
Jones Auto Co
K. of P. Hall
Moose Club House
Nantucket Building
Ohio State Telephone Co.: Exchange, S. High St
Permanent Title Building
Post Office, Station, 68-78 E. Market St
Virginia Hotel
Volunteers of America, Wkg Girls Home
Walsh Building
Y. W. C. A. Building

Streets:
Broadway, S [2-90]
High, S [1-90]
Maiden Lane Alley, S.: [E. Market to E. Mill]
Main, S [1-91]
Market, E [30-98]
Mill, E [25-95]
Wheelers Lane Alley, S