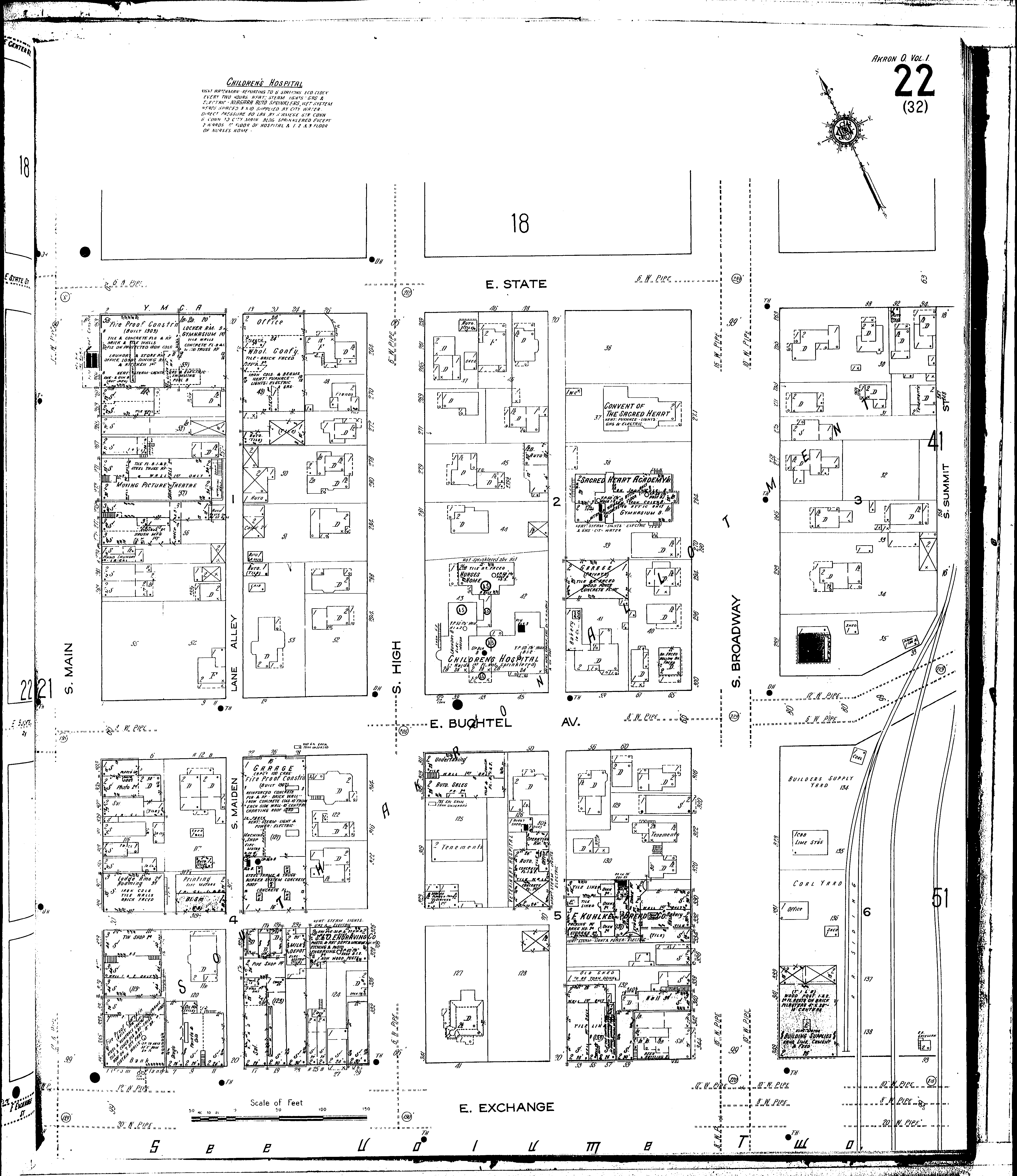
County: Summit Co.
City: Akron
Date: 1916 vol. 1
Currently viewing image: 27 of 100
Previous - Next

Current sheet label: 22
Jump to sheet label:

Print map from PDF
Download full image
Download current view

A full color archival version of this map is available from the Kent State University Institutional Repository.

Locations:
Childrens Hospital
Convent of the Sacred Heart
Kuhlke, F., Bread Co
S. & O. Engraving Co
Sacred Heart Academy and Convent
Y. M. C. A. Building

Streets:
Broadway, S [258-349]
Buchtel Ave., E [1-99]
Exchange, E [1-99]
High, S [256-341]
Maiden Lane Alley, S.: [E. State to E. Exchange]
Main, S [251-337]
State, E [2-94]
Summit, S [240-272]