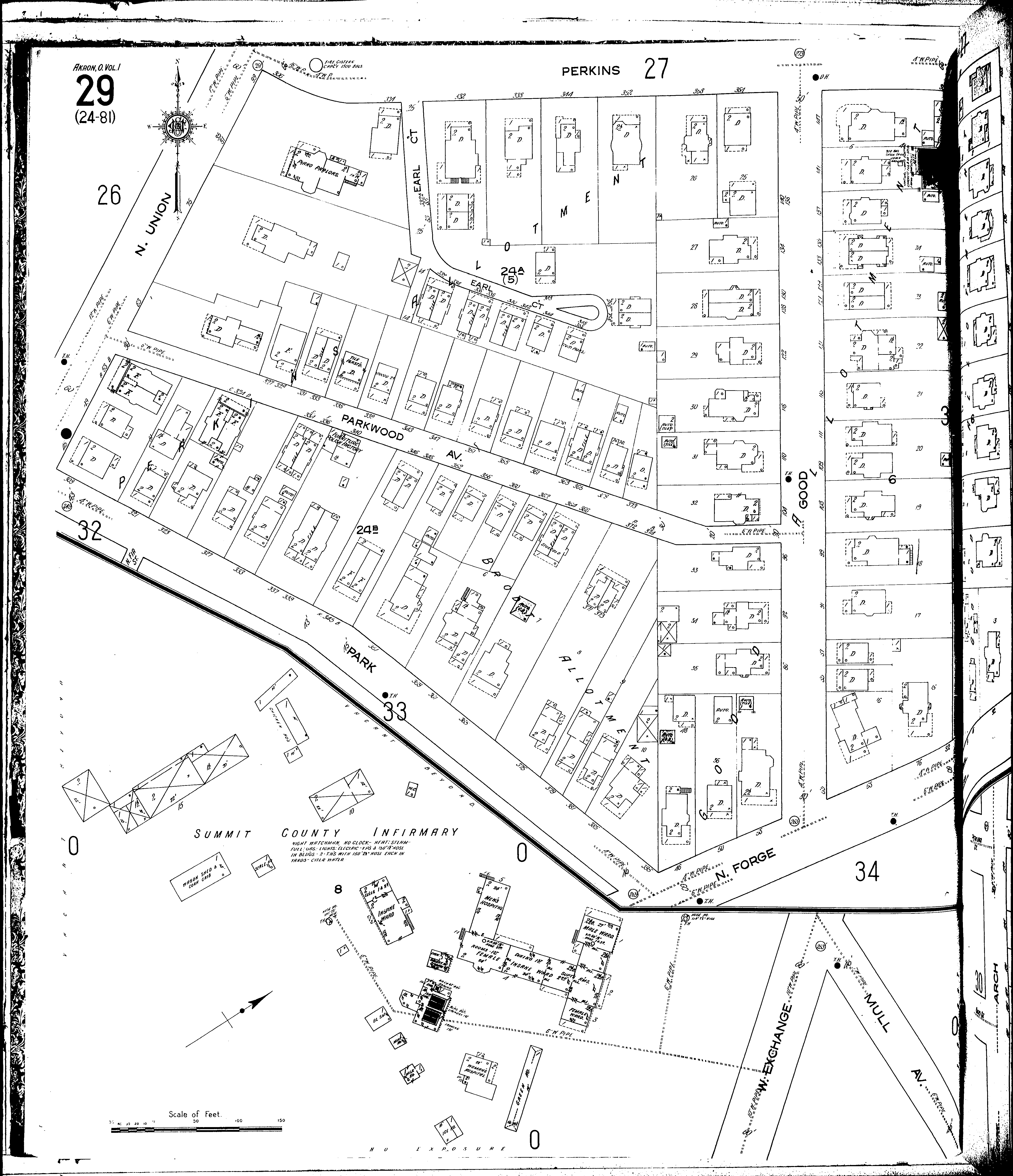
County: Summit Co.
City: Akron
Date: 1916 vol. 1
Currently viewing image: 34 of 100
Previous - Next

Current sheet label: 29
Jump to sheet label:

Print map from PDF
Download full image
Download current view

A full color archival version of this map is available from the Kent State University Institutional Repository.

Locations:
Summit County Infirmary

Streets:
Earl Court
Exchange, W [near Mull Ave.]
Forge, N [42-82]
Good
Mull Ave
Park [307-399]
Parkwood Ave
Perkins [306-388]
Union, N [45-99]

Additions:
Brodt Allotment
Good, Allotment