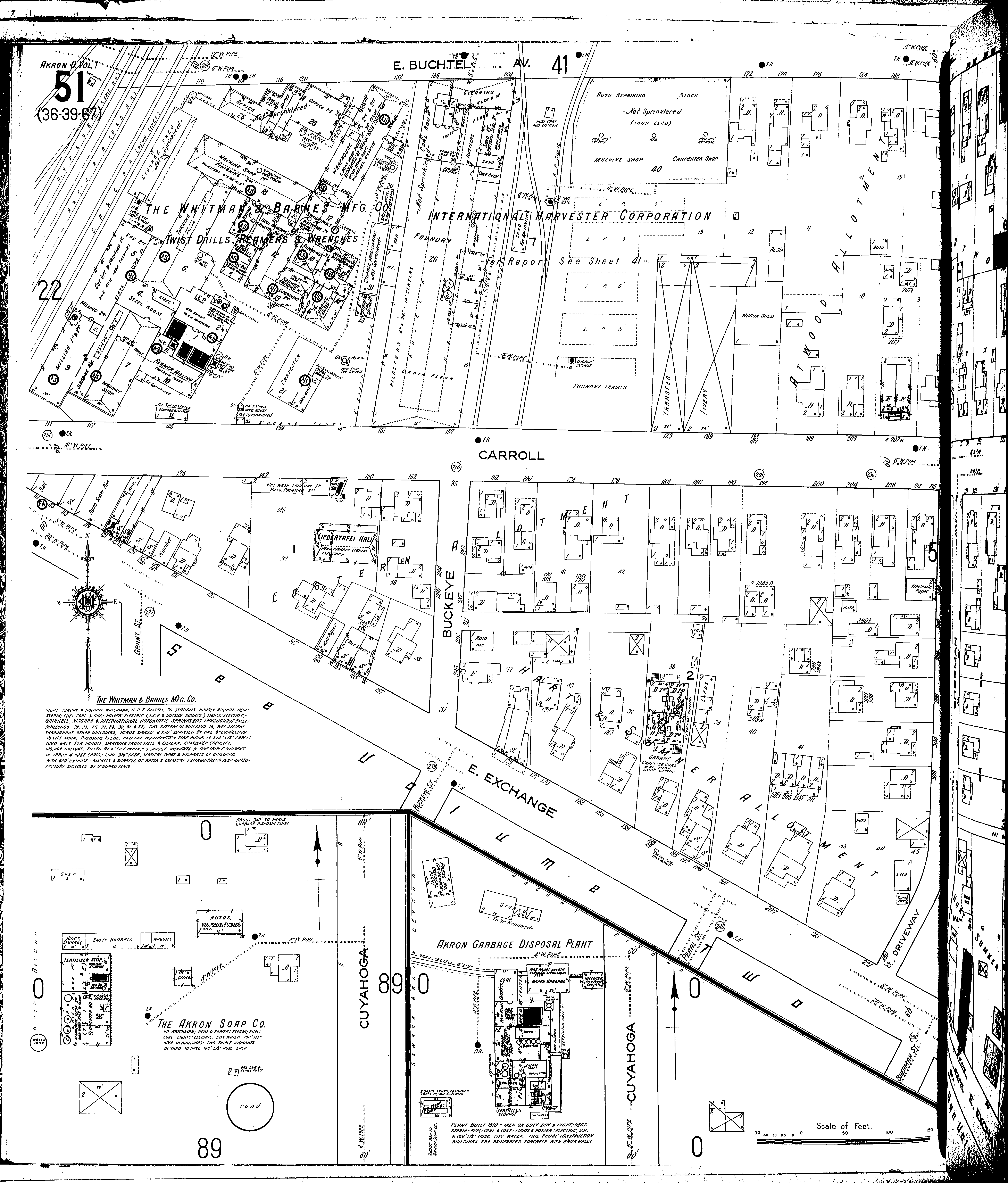
County: Summit Co.
City: Akron
Date: 1916 vol. 1
Currently viewing image: 56 of 100
Previous - Next

Current sheet label: 51
Jump to sheet label:

Print map from PDF
Download full image
Download current view

A full color archival version of this map is available from the Kent State University Institutional Repository.

Locations:
Akron Garbage Disposal Plant
Akron Soap Co
International Harvester Corporation: Foundry and Lumber Yard
Liedertafel Hall
Whitman & Barnes Mfg Co., Twist Drill, Reamers and Wrenches

Streets:
Buchtel Ave., E [100-190]
Buckeye [274-299]
Carroll [110-209]
Carroll [210-218]
Cuyahoga, W. S., near Akron Soap Co
Cuyahoga, near Akron Garbage Disposal Plant
Exchange, E [109-221]
Sherman [276-330]

Additions:
Atwood Allotment
Eastern Allotment
Hart & Sumner Allotment