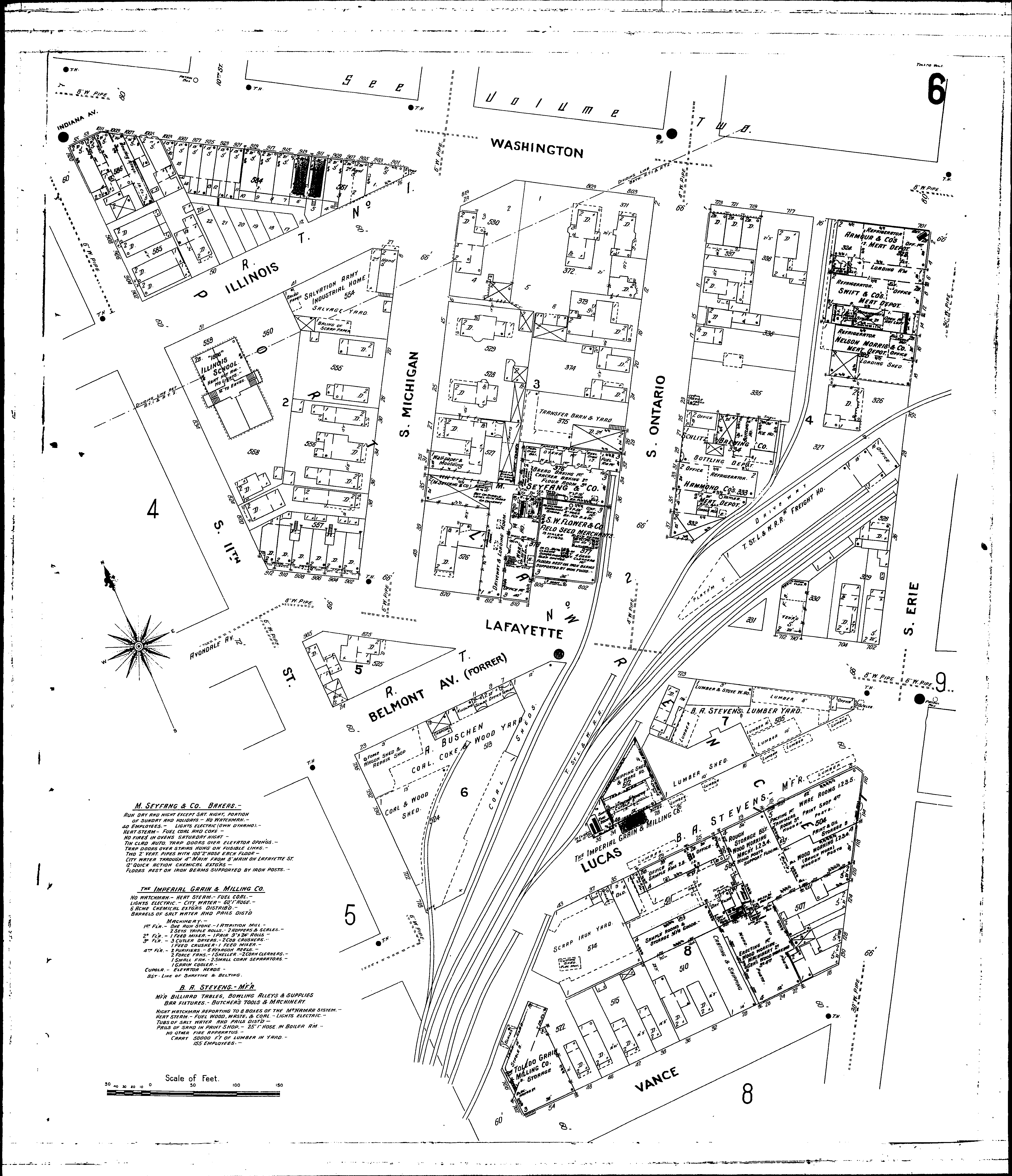
County: Lucas Co.
City: Toledo
Date: 1904-1921 vol. 1, 1904
Currently viewing image: 9 of 99
Previous - Next

Current sheet label: 6
Jump to sheet label:

Print map from PDF
Download full image
Download current view

A full color archival version of this map is available from the Kent State University Institutional Repository.

Locations:
Armour & Co., Meat Depot
Buschen, A., Coal, Wood, &c
Flower, S. W., & Co., Seed Warehouse
Hammond Co., Meat Depot
Illinois School
Imperial Grain and Milling Co
Morris, N., & Co., Meat Depot
Schlitz Brewing Co., Depot
Seyfang, M., & Co., Bakery
Stevens, B. A., Wood Works
Swift & Co., Meat Depot
Toledo Grain and Milling Co., Storage
Toledo St. L. & W. R. R. Freight House

Streets:
Belmont Ave [1-26]
Eleventh, S [700-924]
Erie, S [2-132]
Illinois [1-56]
Indiana Ave [51-57]
Lafayette [700-915]
Lucas [1-60]
Michigan, S
Ontario, S
Vance [2-60]
Washington [701-1013]