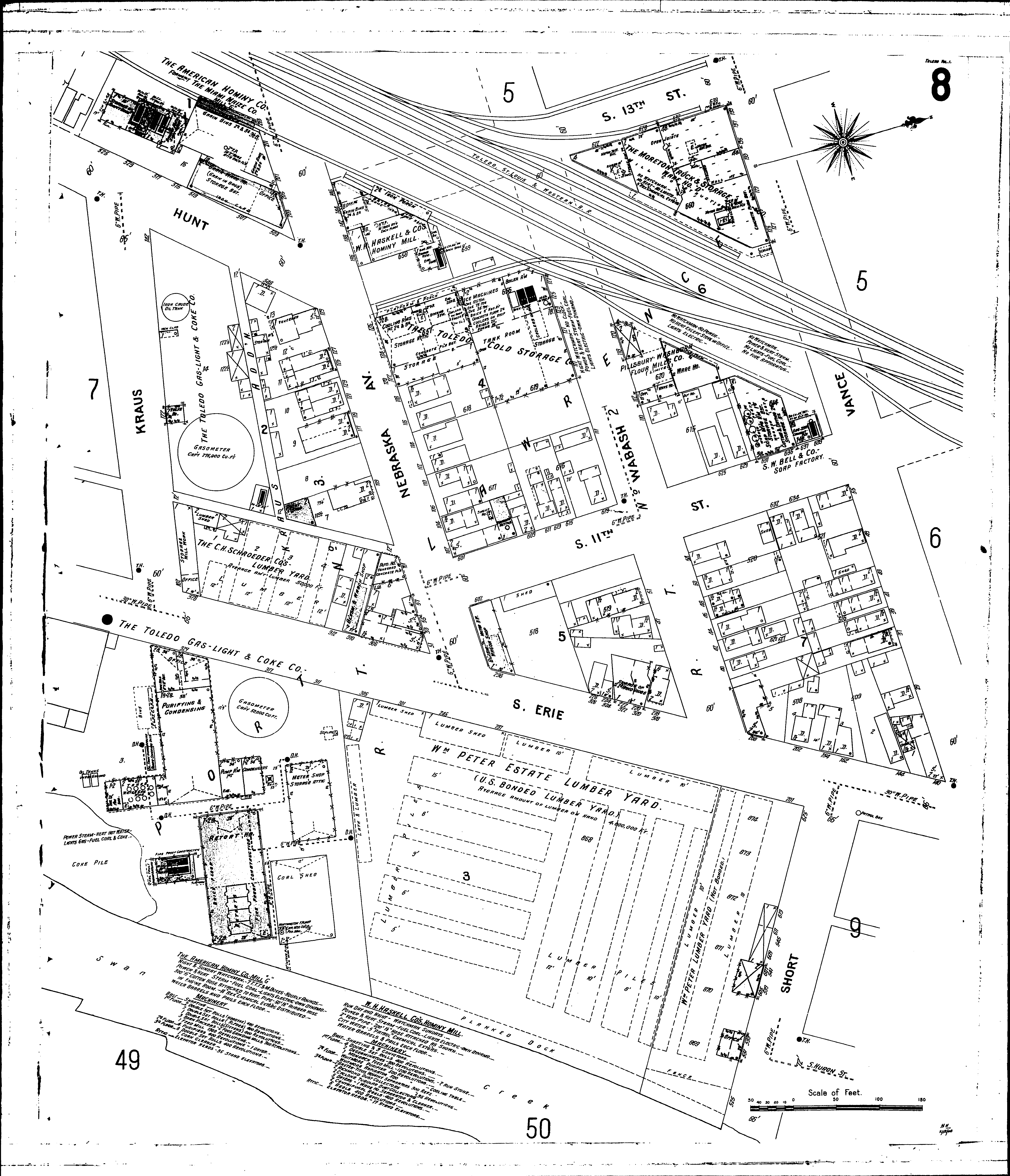
County: Lucas Co.
City: Toledo
Date: 1904-1921 vol. 1, 1904
Currently viewing image: 11 of 99
Previous - Next

Current sheet label: 8
Jump to sheet label:

Print map from PDF
Download full image
Download current view

A full color archival version of this map is available from the Kent State University Institutional Repository.

Locations:
American Hominy Co
Bell, S. W., & Co., Soap Works
Haskell, W. H., & Co., Hominy Mill
Moreton Truck & Storage Co., Wareho. ā€œDā€
Peter, W., Estate, Lumber Yard
Pillsbury-Washburn Flour Mills Co., W. H
Toledo Cold Storage Co
Toledo Gas Light and Coke Co

Streets:
Eleventh, S [600-641]
Erie, S [140-156]
Erie, S [200-337]
Hunt [525-560]
Kraus [100-148]
Nebraska Ave [50-149]
Nebraska Ave [201-223]
Short [521-627]
Thirteenth, S [600-642]
Vance [1-141]
Wabash [1-150]