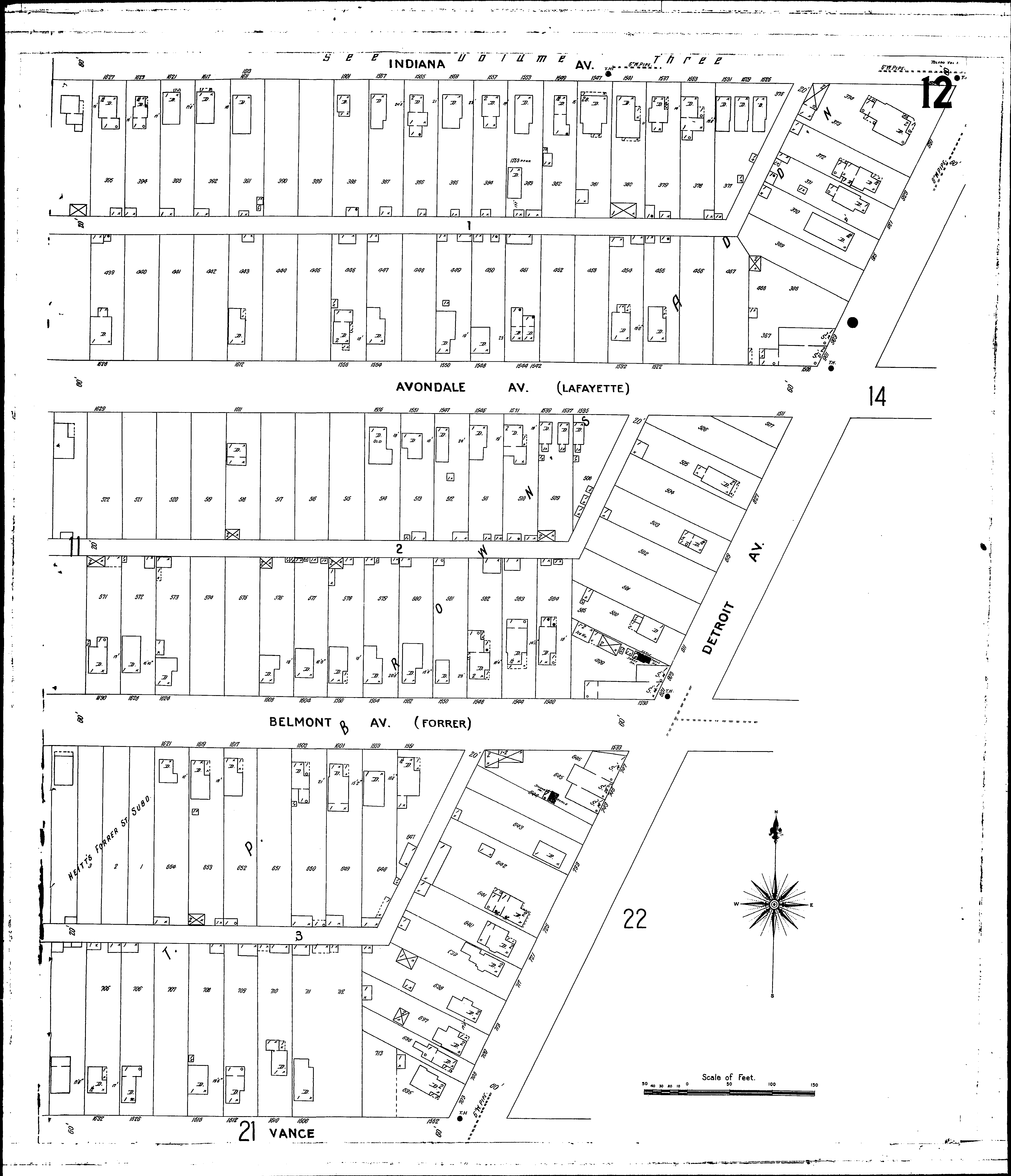
County: Lucas Co.
City: Toledo
Date: 1904-1921 vol. 1, 1904
Currently viewing image: 15 of 99
Previous - Next

Current sheet label: 12
Jump to sheet label:

Print map from PDF
Download full image
Download current view

A full color archival version of this map is available from the Kent State University Institutional Repository.

Streets:
Avondale Ave [1500-1628]
Belmont Ave [1530-1632]
Detroit Ave [701-939]
Indiana Ave [1501-1629]
Vance [1550-1632]