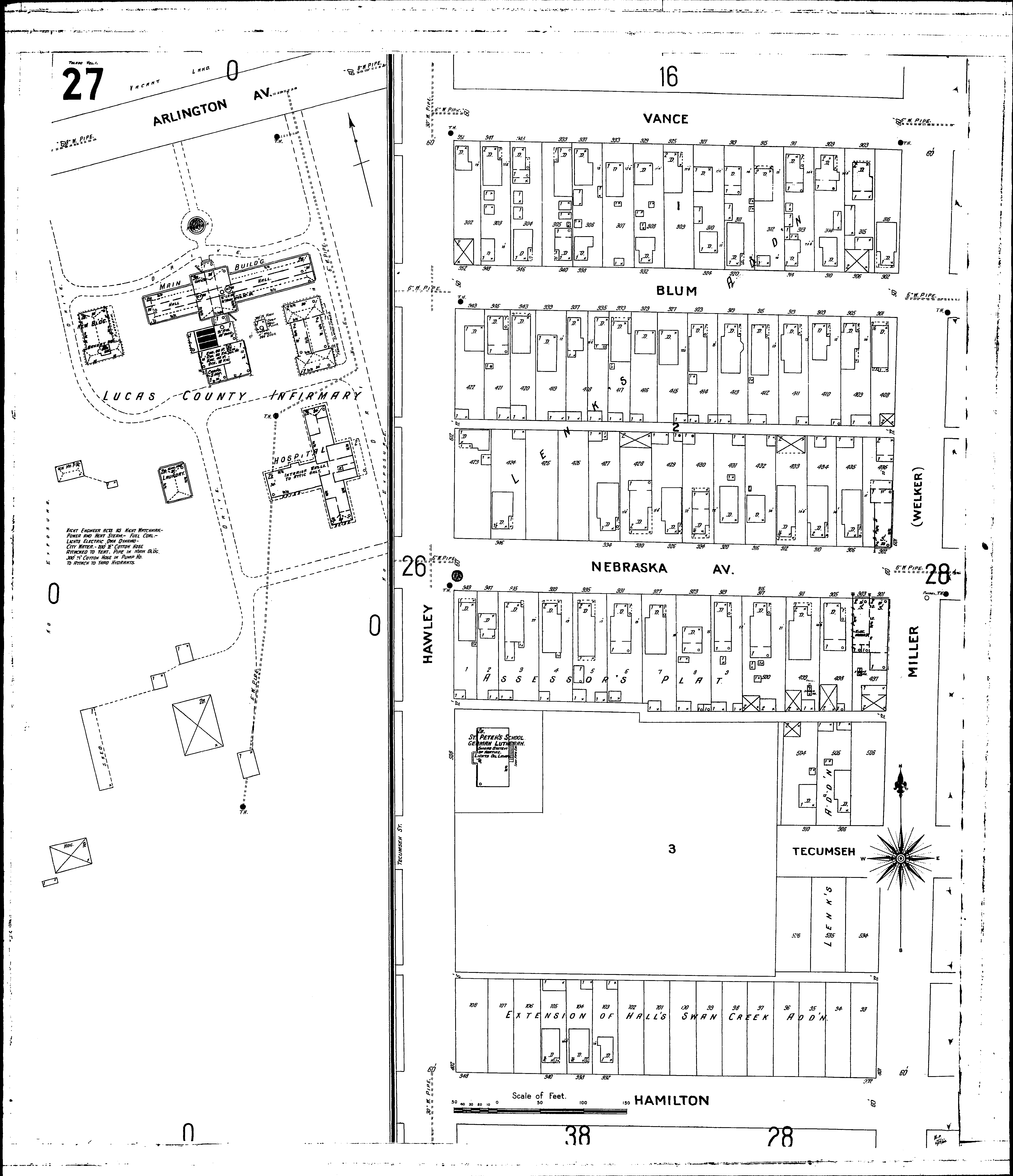
County: Lucas Co.
City: Toledo
Date: 1904-1921 vol. 1, 1904
Currently viewing image: 30 of 99
Previous - Next

Current sheet label: 27
Jump to sheet label:

Print map from PDF
Download full image
Download current view

A full color archival version of this map is available from the Kent State University Institutional Repository.

Locations:
Lucas County Infirmary
St. Peters German Luth. School

Streets:
Blum [900-955]
Hamilton [900-952]
Hawley [400-640]
Miller [401-647]
Nebraska Ave [900-955]
Tecumseh [900-965]
Vance [901-957]