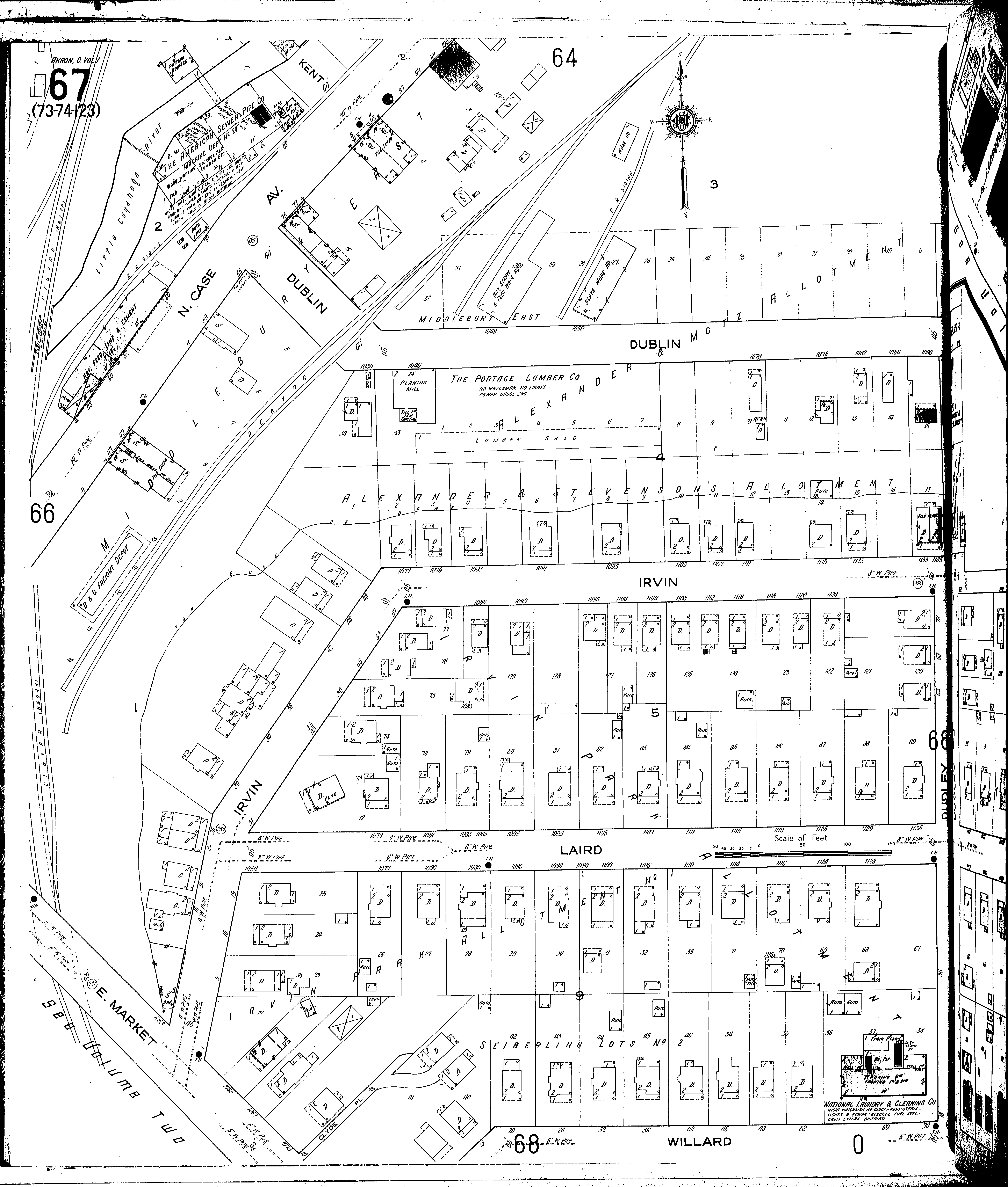
County: Summit Co.
City: Akron
Date: 1916 vol. 1
Currently viewing image: 72 of 100
Previous - Next

Current sheet label: 67
Jump to sheet label:

Print map from PDF
Download full image
Download current view

A full color archival version of this map is available from the Kent State University Institutional Repository.

Locations:
American Sewer Pipe Co.: Machine Dept. No. 24
B. & O. R. R. Freight Depot
National Laundry and Cleaning Co
Portage Lumber Co

Streets:
Case Ave., N [41-104]
Clyde Place
Dublin [1018-1091]
Dudley [18-74]
Irvin [1-1136]
Laird [1050-1137]
Market, E [1021-1073]
Willard

Additions:
Alexander & Motz Allotment
Alexander & Stevensons Allotment
Irvin Park, Allotment
Irvin Park, Allotment, No. 1
Seiberling Lots No. 2