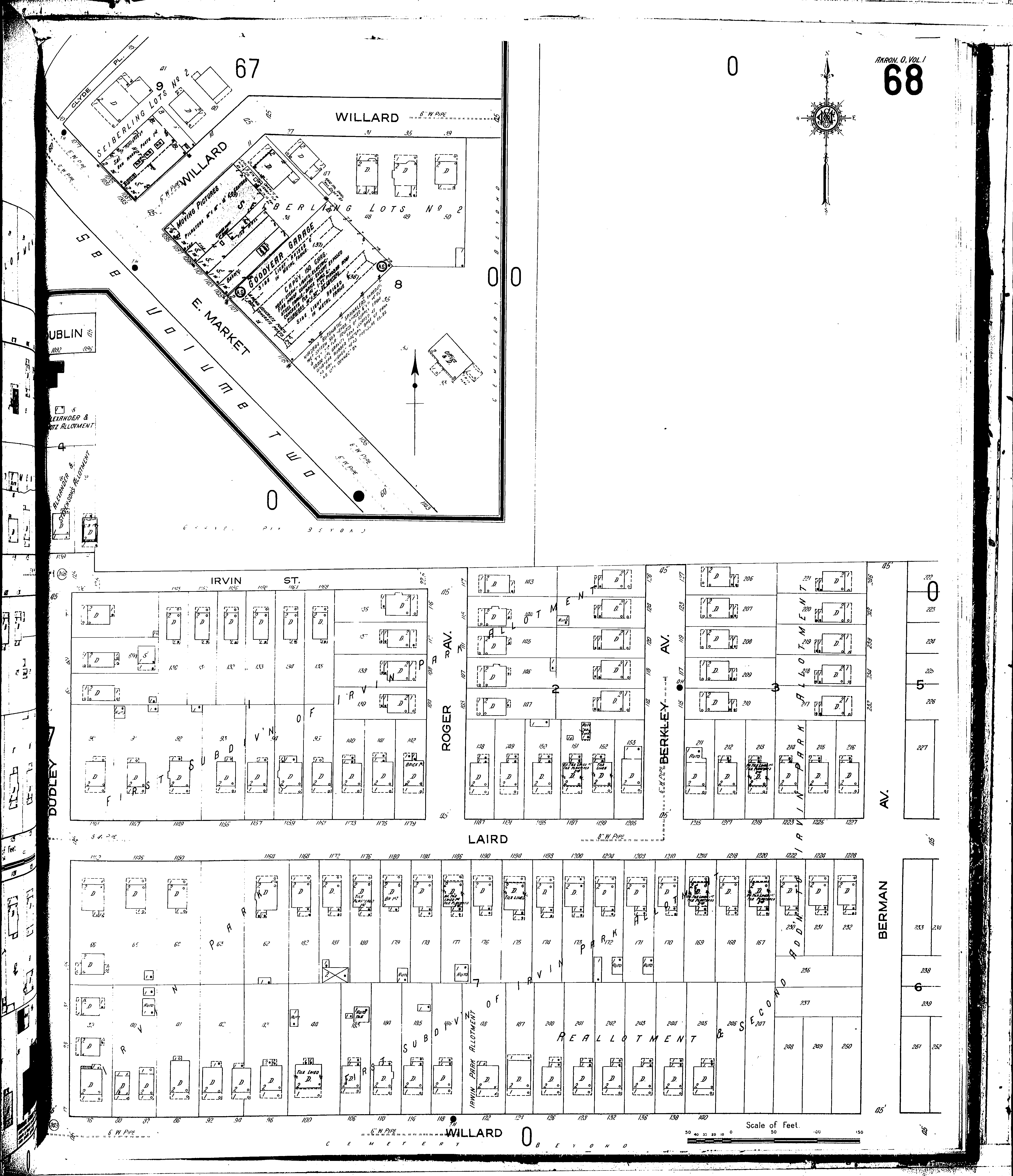
County: Summit Co.
City: Akron
Date: 1916 vol. 1
Currently viewing image: 73 of 100
Previous - Next

Current sheet label: 68
Jump to sheet label:

Print map from PDF
Download full image
Download current view

A full color archival version of this map is available from the Kent State University Institutional Repository.

Locations:
Goodyear Garage

Streets:
Berkley Ave [100-129]
Berman Ave
Dublin [1092-1097]
Dudley [17-79]
Irvin [1137-1180]
Laird [1138-1235]
Market, E [1075-1147]
Roger Ave [100-119]

Additions:
Irvin Park
Irvin Park, Allotment, First Subdivision
Irvin Park, Allotment, Second Addition
Irvin Park, Re-Allotment