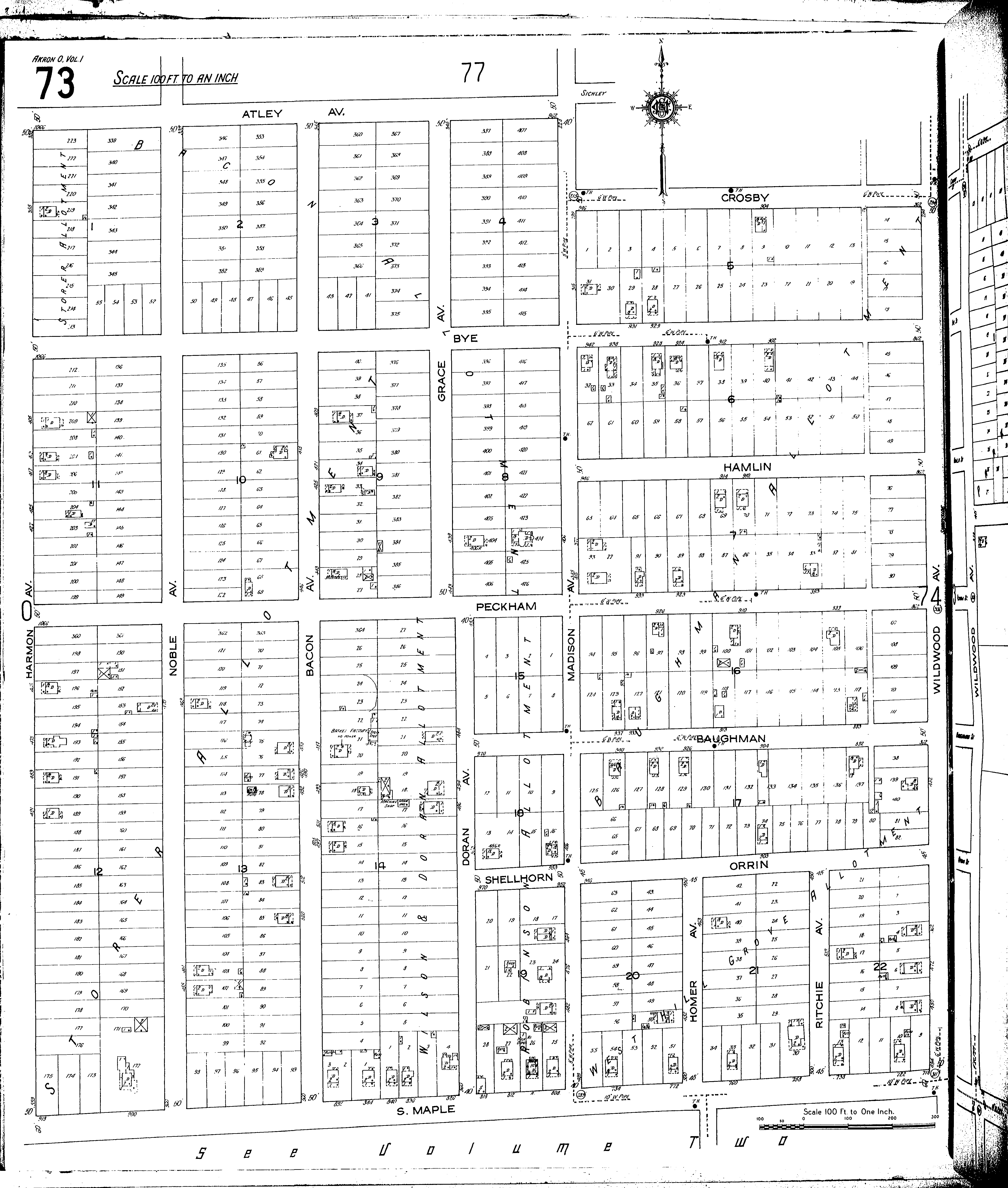
County: Summit Co.
City: Akron
Date: 1916 vol. 1
Currently viewing image: 78 of 100
Previous - Next

Current sheet label: 73
Jump to sheet label:

Print map from PDF
Download full image
Download current view

A full color archival version of this map is available from the Kent State University Institutional Repository.

Streets:
Atley Ave [960-1068]
Bacon Ave [344-561]
Baughman [860-971]
Bye [860-1069]
Crosby [862-948]
Doran Ave
Grace, Ave
Hamlin [860-949]
Harmon Ave [339-559]
Homer Ave [449-500]
Madison Ave
Maple, S [718-920]
Noble Ave [338-561]
Orrin
Peckham [860-1069]
Ritchie Ave [449-500]
Shellhorn
Wildwood Ave [294-494]

Additions:
Bacon Allotment
Baughman Allotment
Storer Allotment
West Hill Grove Allotment
Wilson & Boran Allotment