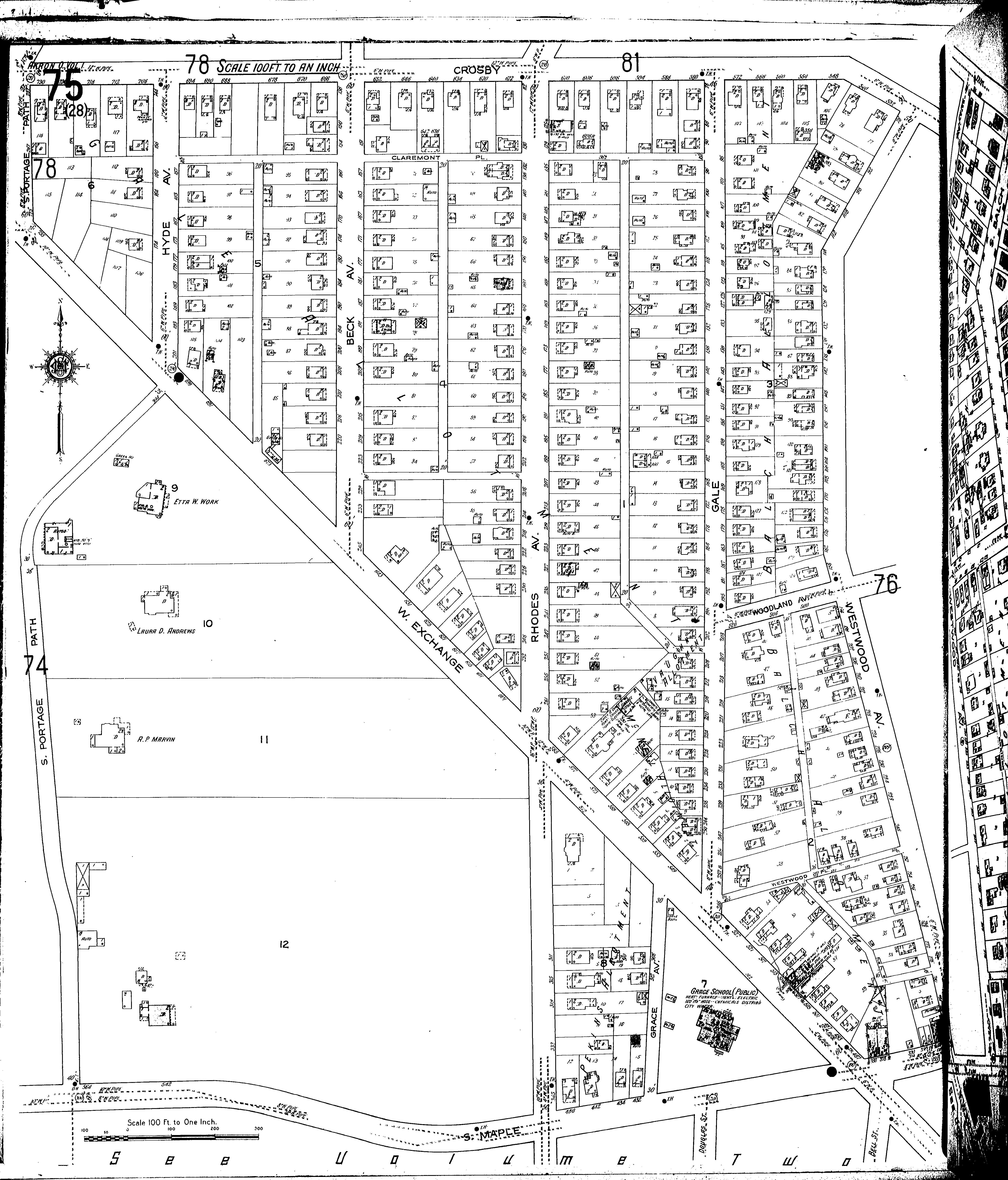
County: Summit Co.
City: Akron
Date: 1916 vol. 1
Currently viewing image: 80 of 100
Previous - Next

Current sheet label: 75
Jump to sheet label:

Print map from PDF
Download full image
Download current view

A full color archival version of this map is available from the Kent State University Institutional Repository.

Locations:
Grace Public School

Streets:
Beck [134-245]
Claremont Place
Crosby [528-730]
Exchange, W [486-699]
Exchange, W [701-755]
Gale
Hyde Ave
Maple, S [364-564]
Portage Path, S [257-275]
Rhodes Ave [111-346]
Westwood Ave [78-302]
Westwood Place
Woodland Ave [490-521]

Additions:
Balch Allotment
Gale Allotment
McNeal Allotment
Pekins Allotment
Vaughn Allotment