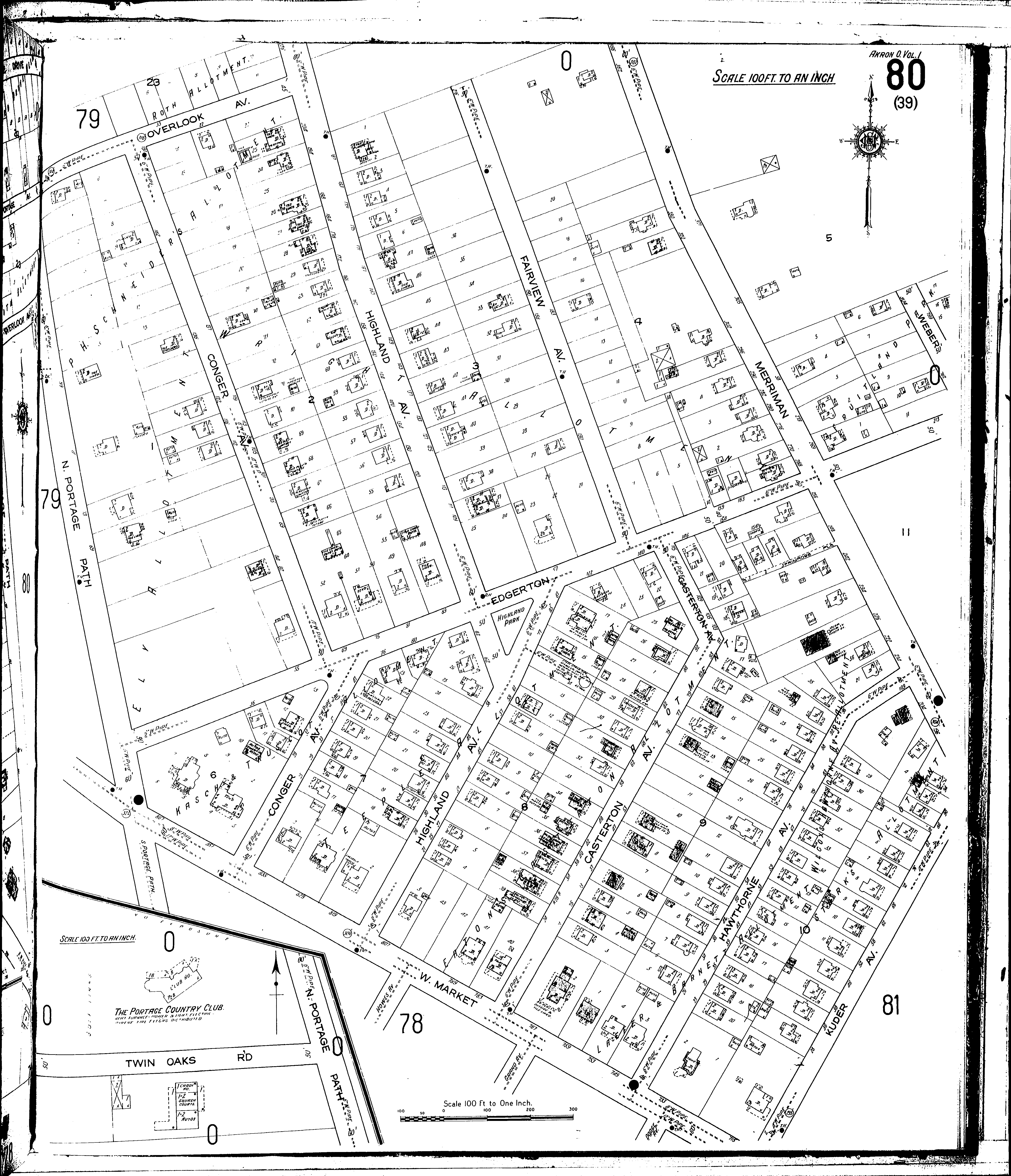
County: Summit Co.
City: Akron
Date: 1916 vol. 1
Currently viewing image: 85 of 100
Previous - Next

Current sheet label: 80
Jump to sheet label:

Print map from PDF
Download full image
Download current view

A full color archival version of this map is available from the Kent State University Institutional Repository.

Locations:
Portage Country Club House

Streets:
Casterton Ave
Conger Ave
Edgerton
Fairview Ave
Hawthorne Ave
Highland Ave
Kuder Ave [2-96]
Market, W [715-869]
Merriman [186-194]
Merriman [196-367]
Primrose Place
Twin Oaks Road
Weber

Additions:
Eatons Casterton Allotment
Fruitland Park
Kasch & Truscott Allotment
Laefer & Barnett Allotment
Schneider, P. H., Allotment
Starks Allotment
Teeple Allotment
Wilcoxs Hawthorn Ave. Re-Allotment
Wright Allotment