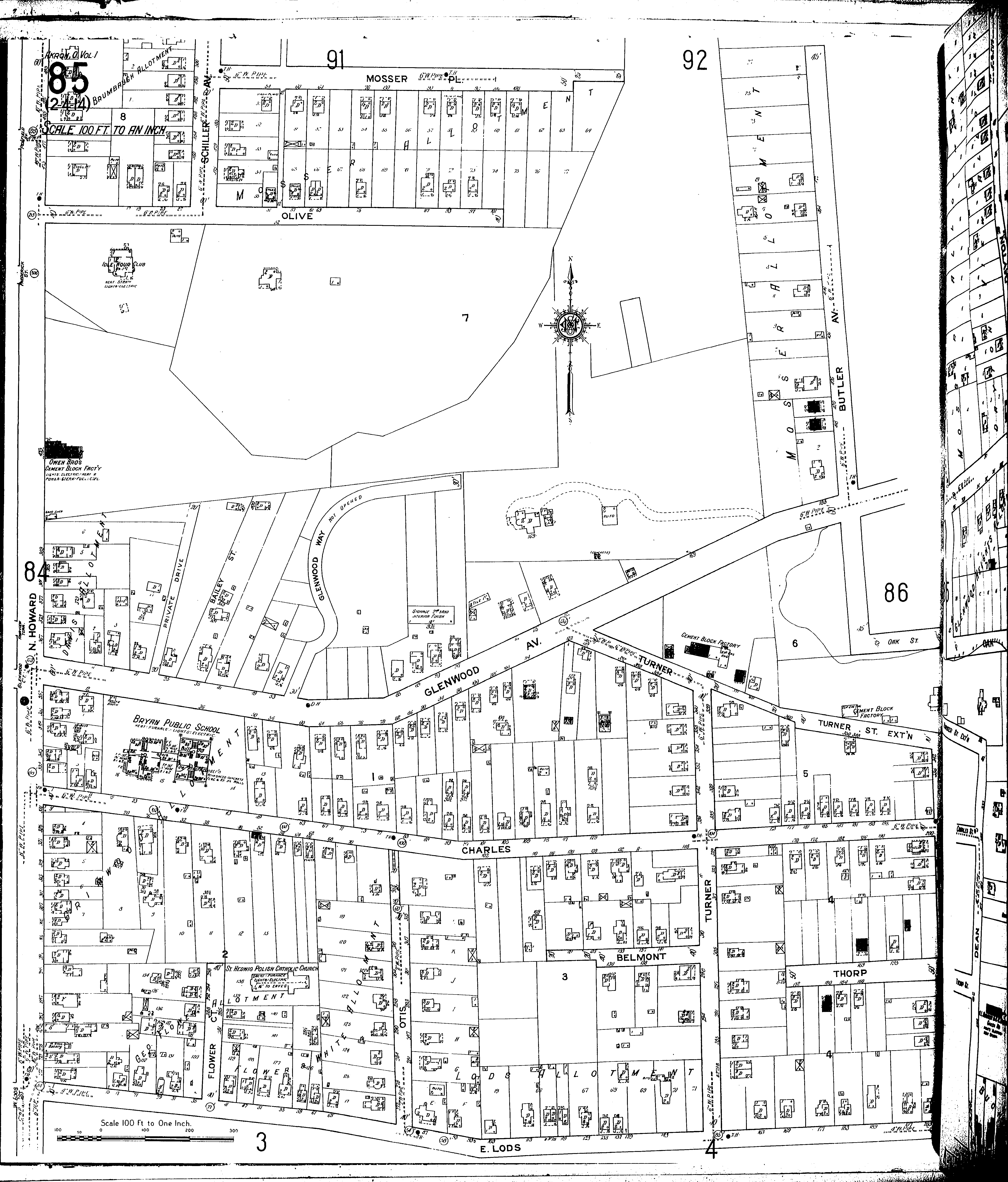
County: Summit Co.
City: Akron
Date: 1916 vol. 1
Currently viewing image: 90 of 100
Previous - Next

Current sheet label: 85
Jump to sheet label:

Print map from PDF
Download full image
Download current view

A full color archival version of this map is available from the Kent State University Institutional Repository.

Locations:
Bryan Public School
Owen Bros., Cement Block Factory
St. Hedwig Polish Catholic Church

Streets:
Bailey
Belmont
Butler Ave [364-494]
Charles [1-200]
Dean [266-342]
Flower Court
Glenwood Ave [1-190]
Glenwood Way
Howard, N [271-495]
Lods, E [1-207]
Mosser Place [44-120]
Olive [1-102]
Otis
Schiller Ave [470-489]
Schiller Ave [490-502]
Thorp
Turner
Turner, Street Extension

Additions:
Brumbaugh Allotment
Davis Allotment
Flower & White Allotment
Flower G., Allotment
Grimwood Allotment
Mosser Allotment