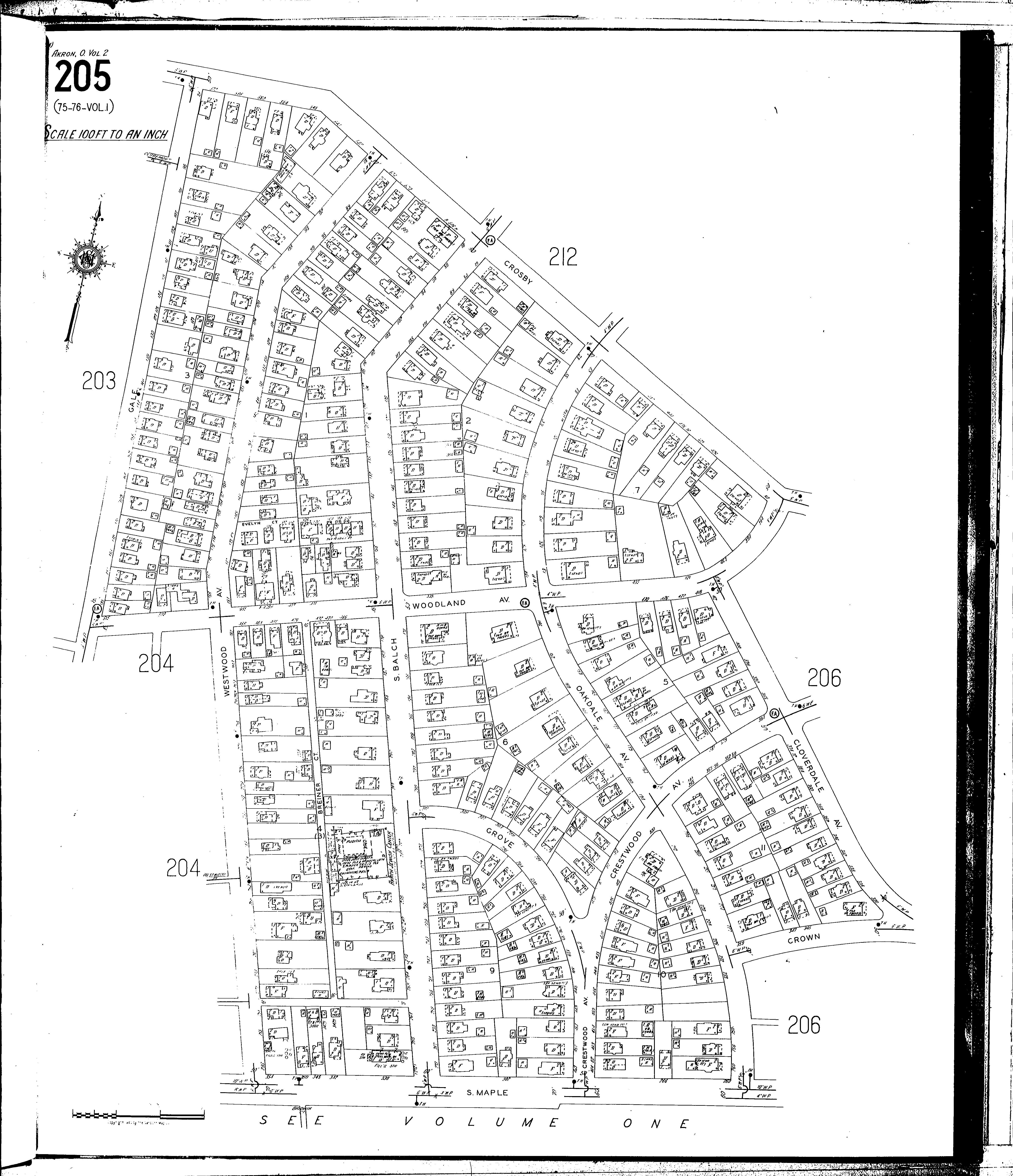
County: Summit Co.
City: Akron
Date: 1930-1940 vol. 2, 1940
Currently viewing image: 8 of 80
Previous - Next

Current sheet label: 205
Jump to sheet label:

Print map from PDF
Download full image
Download current view

Locations:
Akron Jewish Center

Streets:
Balch, S [77-276]
Breiner Court
Cloverdale Ave [330-412]
Crestwood Ave [366-465]
Crosby [412-578]
Crown [333-359]
Evelyn Court
Gale [79-201]
Grove [276-319]
Maple, S [248-354]
Oakdale Ave [81-228]
Oakdale Ave [230-260]
Westwood Ave [76-193]
Westwood Ave [195-293]
Woodland Ave [391-417]
Woodland Ave [418-495]
Woodland Ave [497-515]