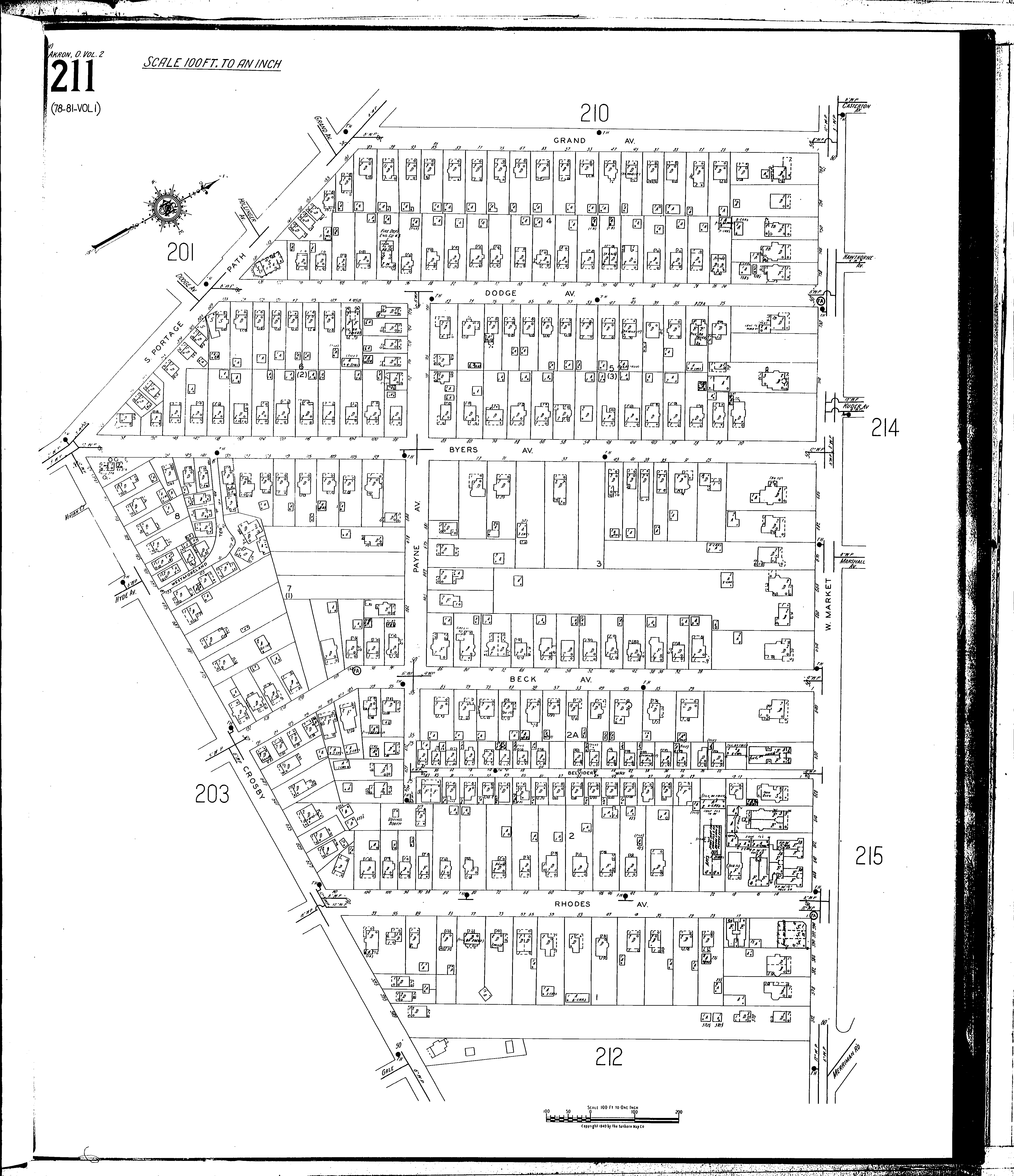
County: Summit Co.
City: Akron
Date: 1930-1940 vol. 2, 1940
Currently viewing image: 14 of 80
Previous - Next

Current sheet label: 211
Jump to sheet label:

Print map from PDF
Download full image
Download current view

Locations:
Fire Dept., Engine Co. No. 3, 98 Dodge Ave

Streets:
Beck Ave [1-138]
Belvidere Way [1-88]
Byers Ave [1-160]
Crosby [579-729]
Dodge Ave [1-138]
Grand Ave [1-105]
Market, W [572-770]
Payne Ave [600-731]
Portage Path, S [149-243]
Rhodes Ave [1-112]
Westmoreland Terrace [100-133]