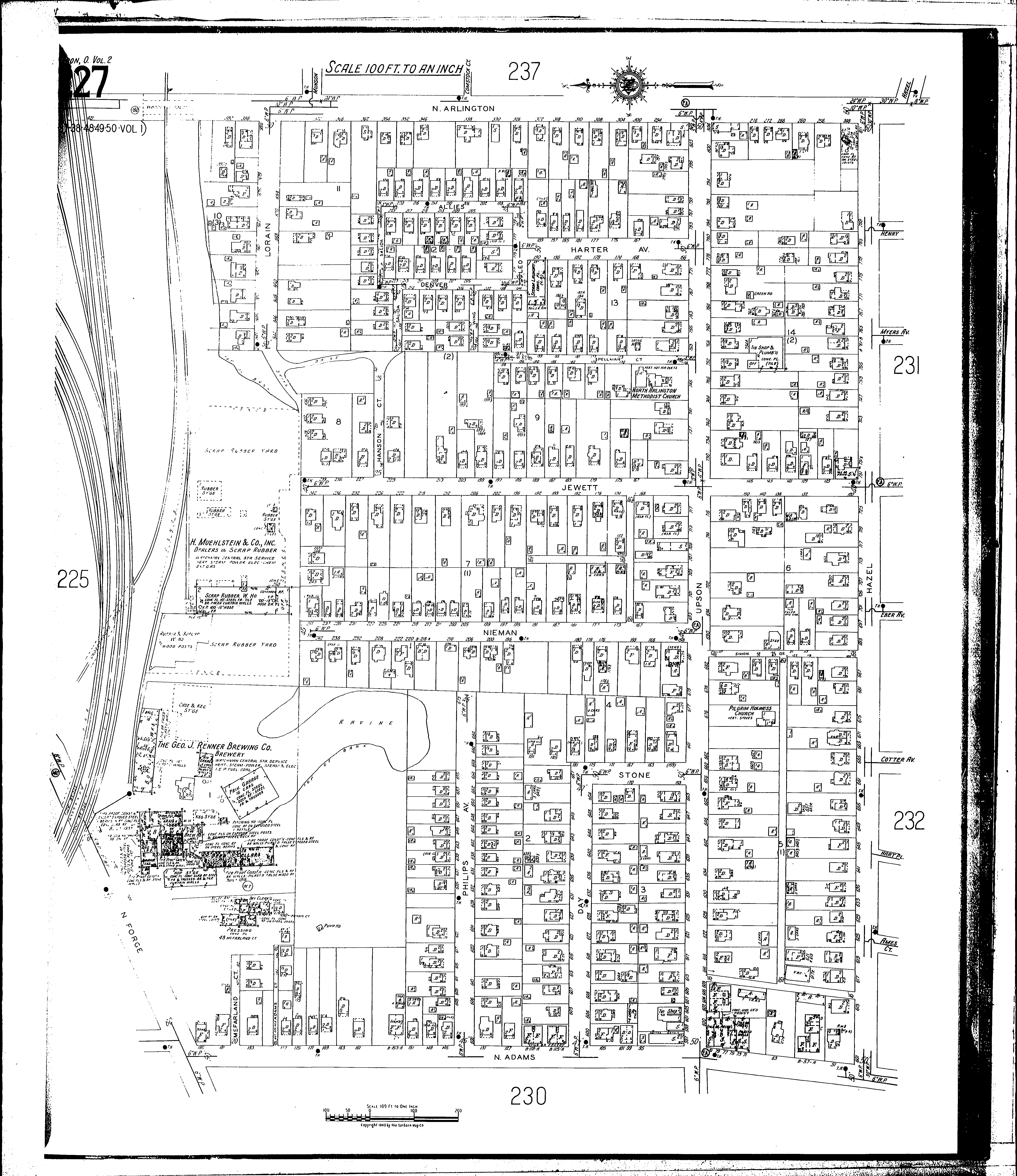
County: Summit Co.
City: Akron
Date: 1930-1940 vol. 2, 1940
Currently viewing image: 30 of 80
Previous - Next

Current sheet label: 227
Jump to sheet label:

Print map from PDF
Download full image
Download current view

Locations:
Muehlstein, H., & Co., Scrap Rubber Dealers
North Arlington Methodist Church
Pilgrim Holiness Church

Streets:
Adams, N [51-199]
Adams, Court
Allies [194-225]
Arlington, N [242-424]
Day [600-659]
Denver [194-225]
Forge, N [237-299]
Hanson Court [716-741]
Harter Ave [156-191]
Hazel [601-811]
Jewett [120-251]
Leo
Lorain [800-889]
McFarland Court
Nieman [158-245]
Philips Ave [600-675]
Salida [750-785]
Simon Drive [100-139]
Spellman Court [156-199]
Stone [158-199]
Upson [596-805]
Wing