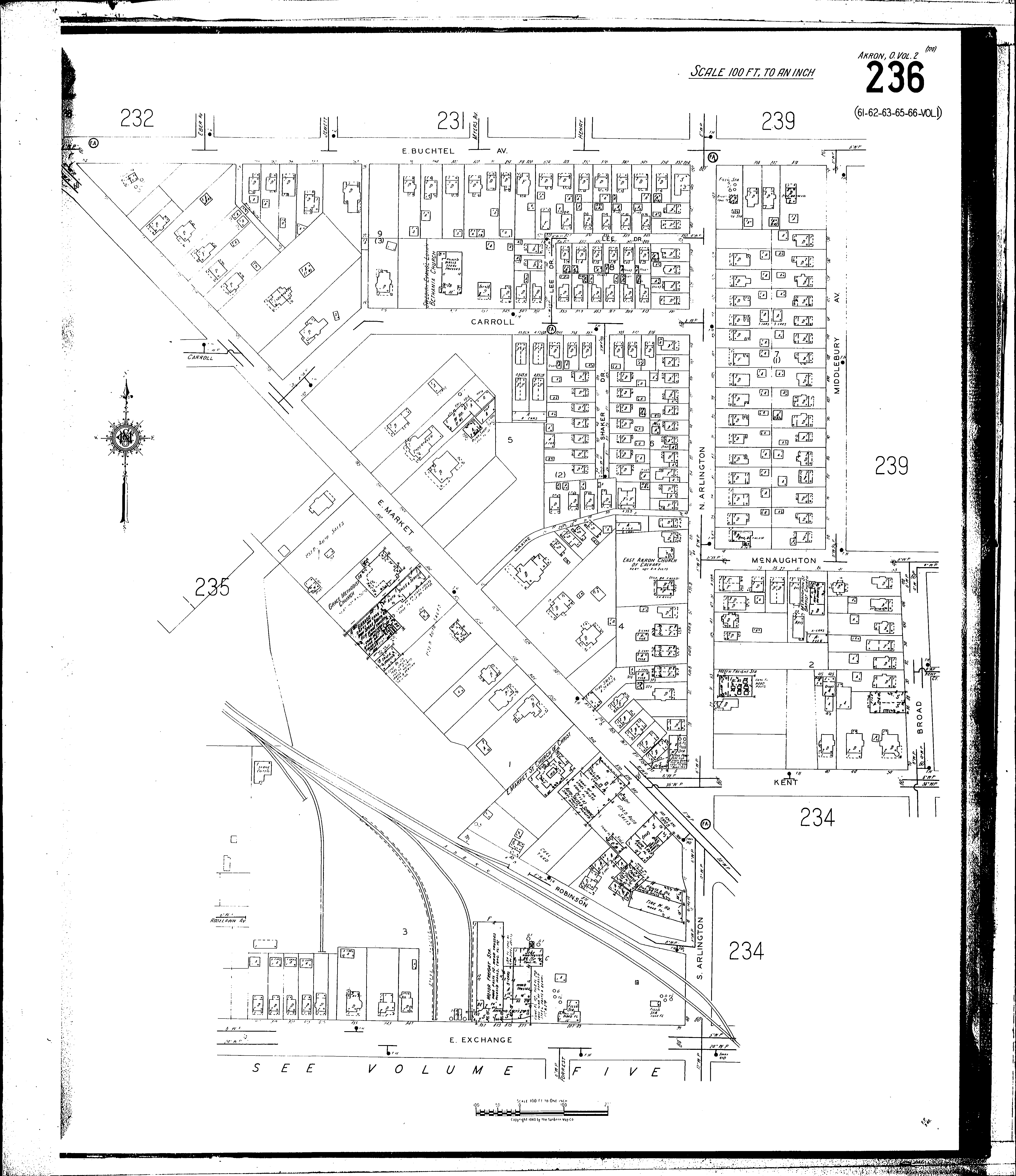
County: Summit Co.
City: Akron
Date: 1930-1940 vol. 2, 1940
Currently viewing image: 39 of 80
Previous - Next

Current sheet label: 236
Jump to sheet label:

Print map from PDF
Download full image
Download current view

Locations:
East Akron Church of Calvary
East Market Street Church of Christ
Grace Methodist Church
McNaughton Street Baptist Church
Swedish Evangelical Lutheran Bethania Ch

Streets:
Arlington, N [2-8]
Arlington, N [9-150]
Arlington, S [2-40]
Broad [62-110]
Buchtel Ave., E [706-880]
Carroll [772-881]
Exchange, E [811-911]
Kent [2-54]
Lee Drive [120-135]
Lee Drive [820-851]
McNaughton [1-40]
McNaughton [41-55]
Market, E [691-787]
Market, E [788-895]
Market, E [896-906]
Maxine Place
Middlebury Ave [66-150]
Robinson
Shaker Drive [84-111]