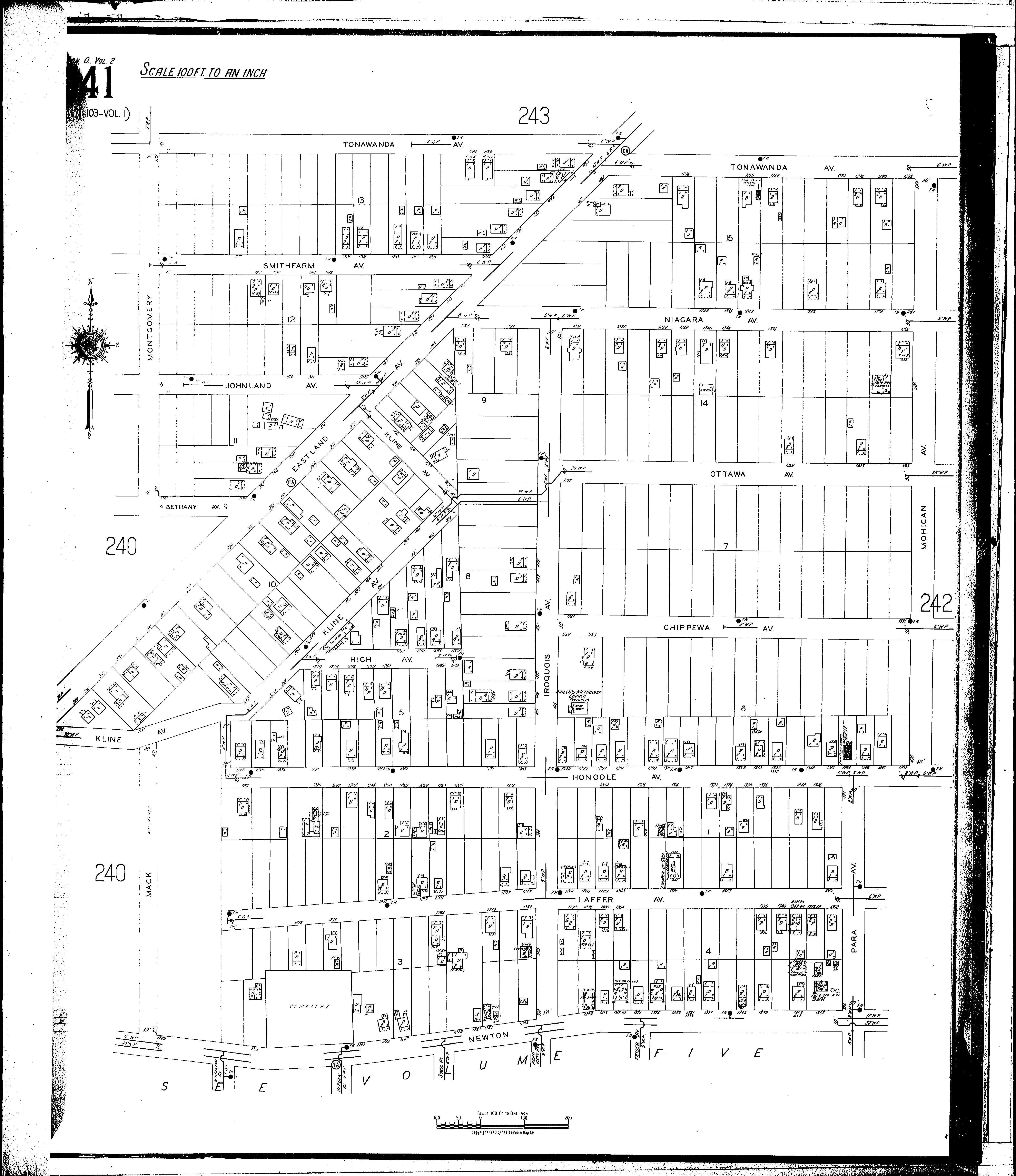
County: Summit Co.
City: Akron
Date: 1930-1940 vol. 2, 1940
Currently viewing image: 44 of 80
Previous - Next

Current sheet label: 241
Jump to sheet label:

Print map from PDF
Download full image
Download current view

Locations:
Church of God (Colored)
Phillips Methodist Church (Colored)

Streets:
Bethany Ave [1108-1126]
Chippewa Ave [1250-1331]
Eastland Ave [279-341]
Eastland Ave [342-463]
Eastland Ave [465-469]
High Ave [1240-1271]
Honodle Ave [1216-1359]
Honodle Ave [1361-1373]
Iroquois Ave [350-503]
Johnland Ave [1152-1203]
Kline Ave [286-306]
Kline Ave [308-439]
Laffer Ave [1216-1353]
Mack [371-431]
Mohican Ave [430-564]
Montgomery [451-529]
Newton [1201-1367]
Niagara Ave [1184-1289]
Ottawa Ave [1240-1313]
Para Ave [374-424]
Smithfarm Ave [1158-1235]
Tonawanda Ave [1108-1288]