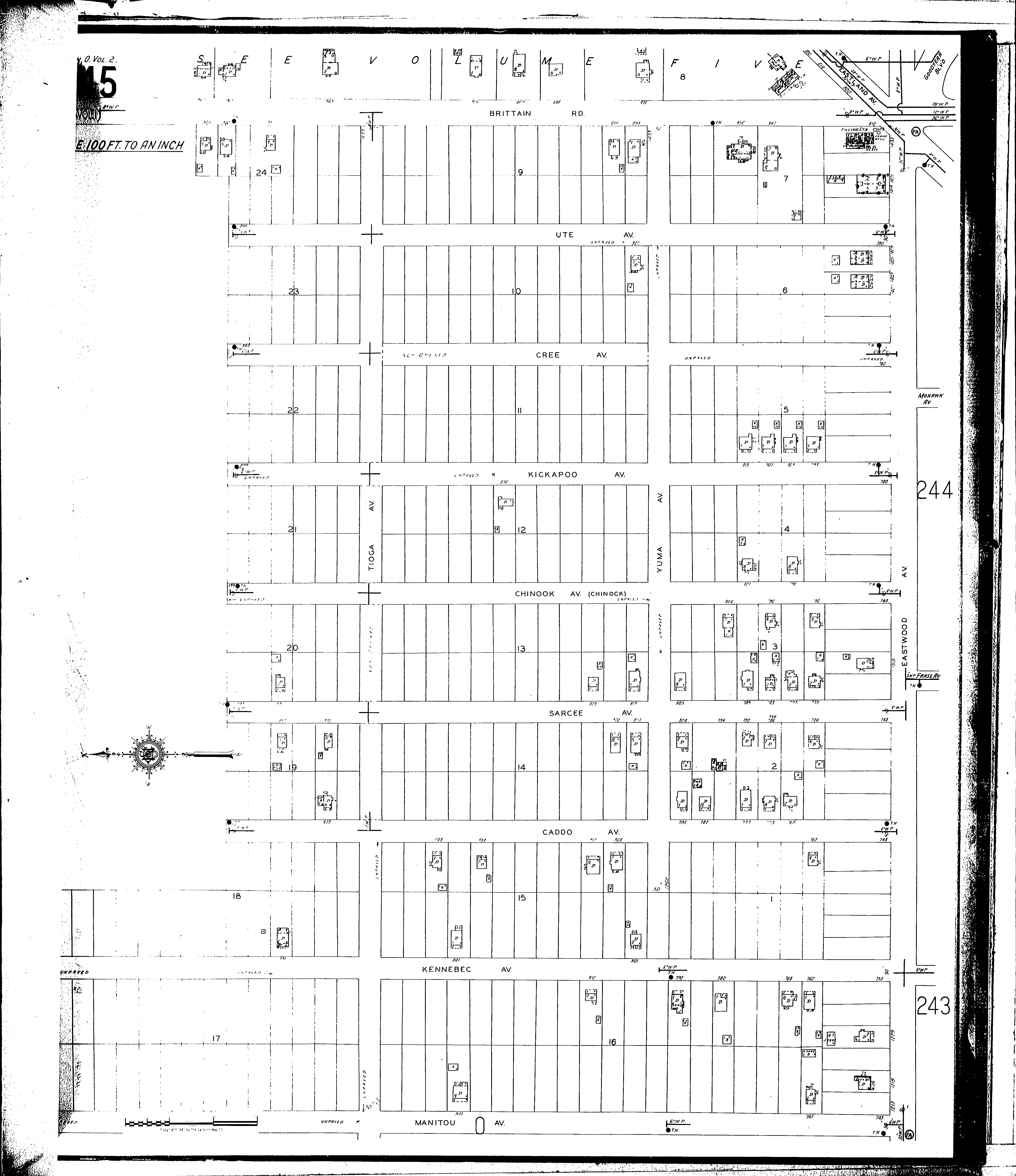
County: Summit Co.
City: Akron
Date: 1930-1940 vol. 2, 1940
Currently viewing image: 48 of 80
Previous - Next

Current sheet label: 245
Jump to sheet label:

Print map from PDF
Download full image
Download current view

Streets:
Brittain Road [810-999]
Caddo Ave [748-891]
Chinook Ave [748-899]
Cree Ave [780-899]
Eastland Ave [800-821]
Eastwood Ave [1213-1433]
Kennebec Ave [756-931]
Kickapoo Ave [780-899]
Manitou Ave [743-931]
Sarcee Ave [748-899]
Tioga Ave [1212-1435]
Ute Ave [780-899]
Yuma Ave [1262-1435]