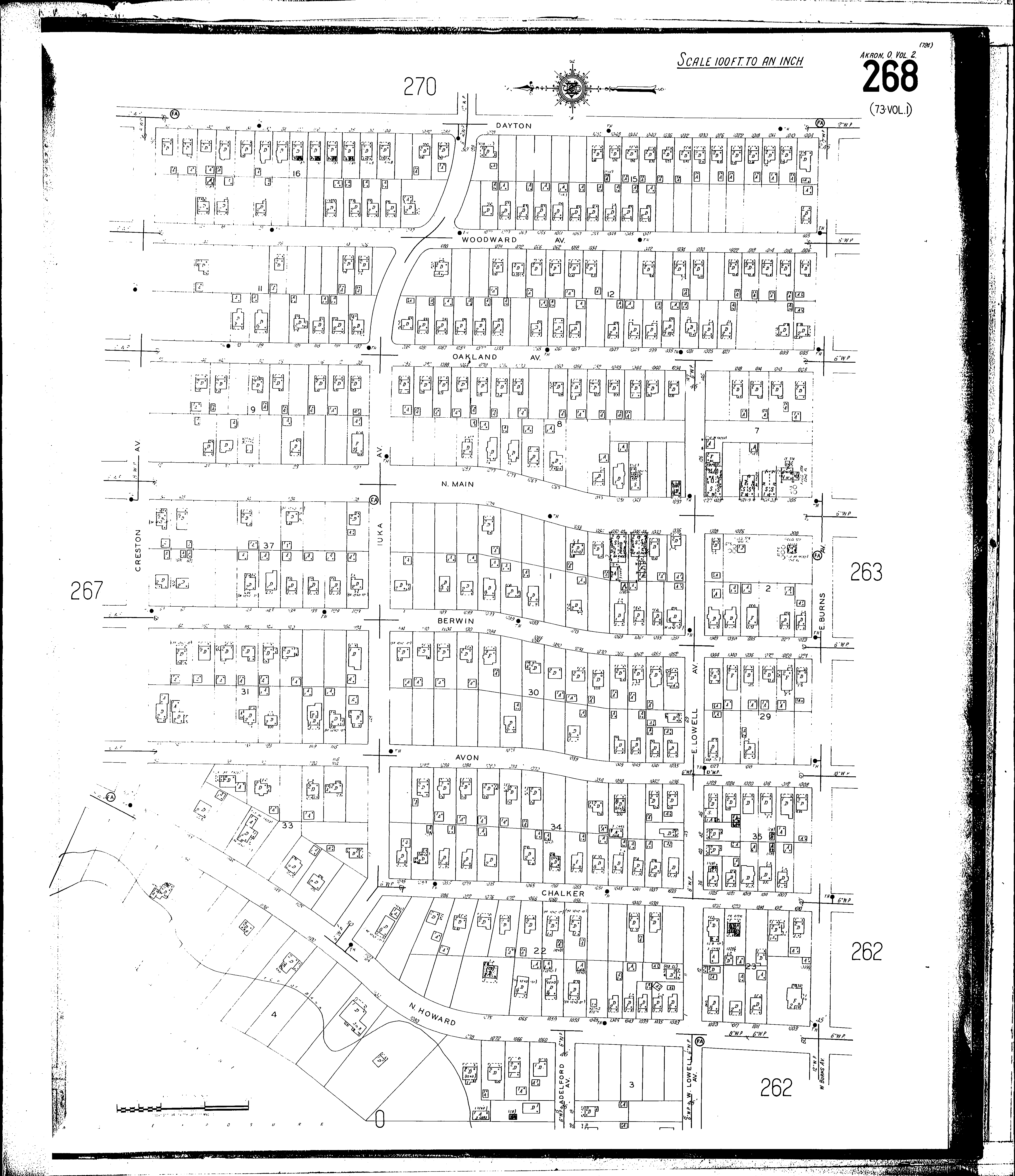
County: Summit Co.
City: Akron
Date: 1930-1940 vol. 2, 1940
Currently viewing image: 71 of 80
Previous - Next

Current sheet label: 268
Jump to sheet label:

Print map from PDF
Download full image
Download current view

Streets:
Adelford Ave [1-22]
Avon [1000-1155]
Berwin [1016-1169]
Burns Ave., E [1-203]
Chalker [1000-1099]
Creston Ave [2-152]
Dayton [1000-1158]
Howard, N [1001-1025]
Howard, N [1026-1179]
Iuka Ave [1-188]
Lowell Ave., E [1-148]
Lowell Ave., W [1-19]
Main, N [1000-1155]
Oakland Ave [1000-1155]
Woodward Ave [1000-1153]