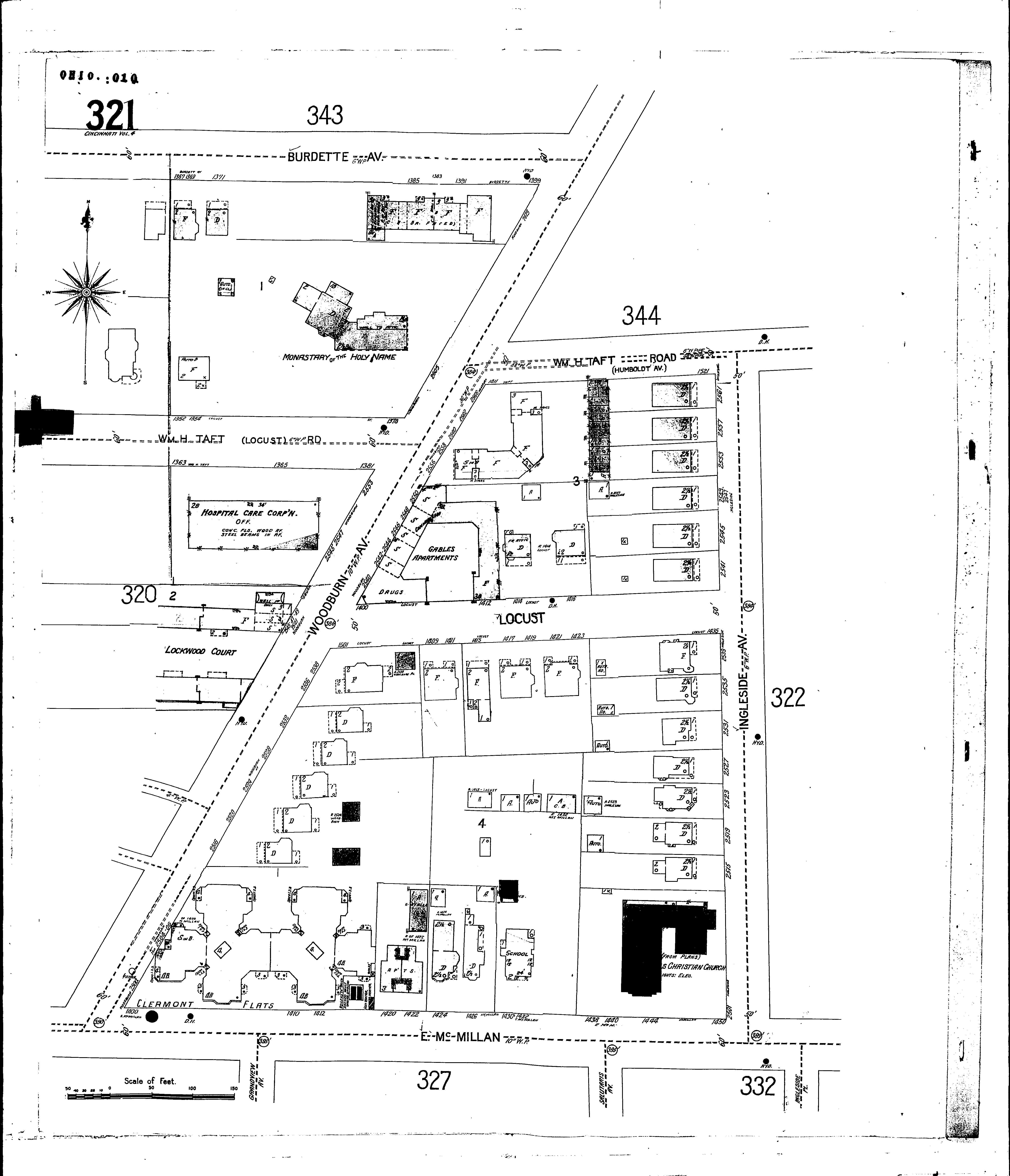
County: Hamilton Co.
City: Cincinnati
Date: 1904-June 1950 vol. 4,1904-Apr. 1949
Currently viewing image: 15 of 107
Previous - Next

Current sheet label: 321
Jump to sheet label:

Print map from PDF
Download full image
Download current view

A full color archival version of this map is available from the Kent State University Institutional Repository.

Locations:
Cincinnati & Suburban Bell Telephone Co.: Woodburn Exchange
Clermont Flats
Gables Apartments
Monastery of the Holy Name
Walnut Hills Christian Church

Streets:
Lincoln Ave [1352-1381]
Lincoln Ave [1401-1421]
Burdett Ave [1365-1415]
Ingleside Ave [2501-2569]
Locust [1354-1535]
McMillan, E [1400-1450]
Taft Road [1501-1521]
Woodburn Ave [2500-2540]
Woodburn Ave [2541-2598]
Woodburn Ave [2601-2625]