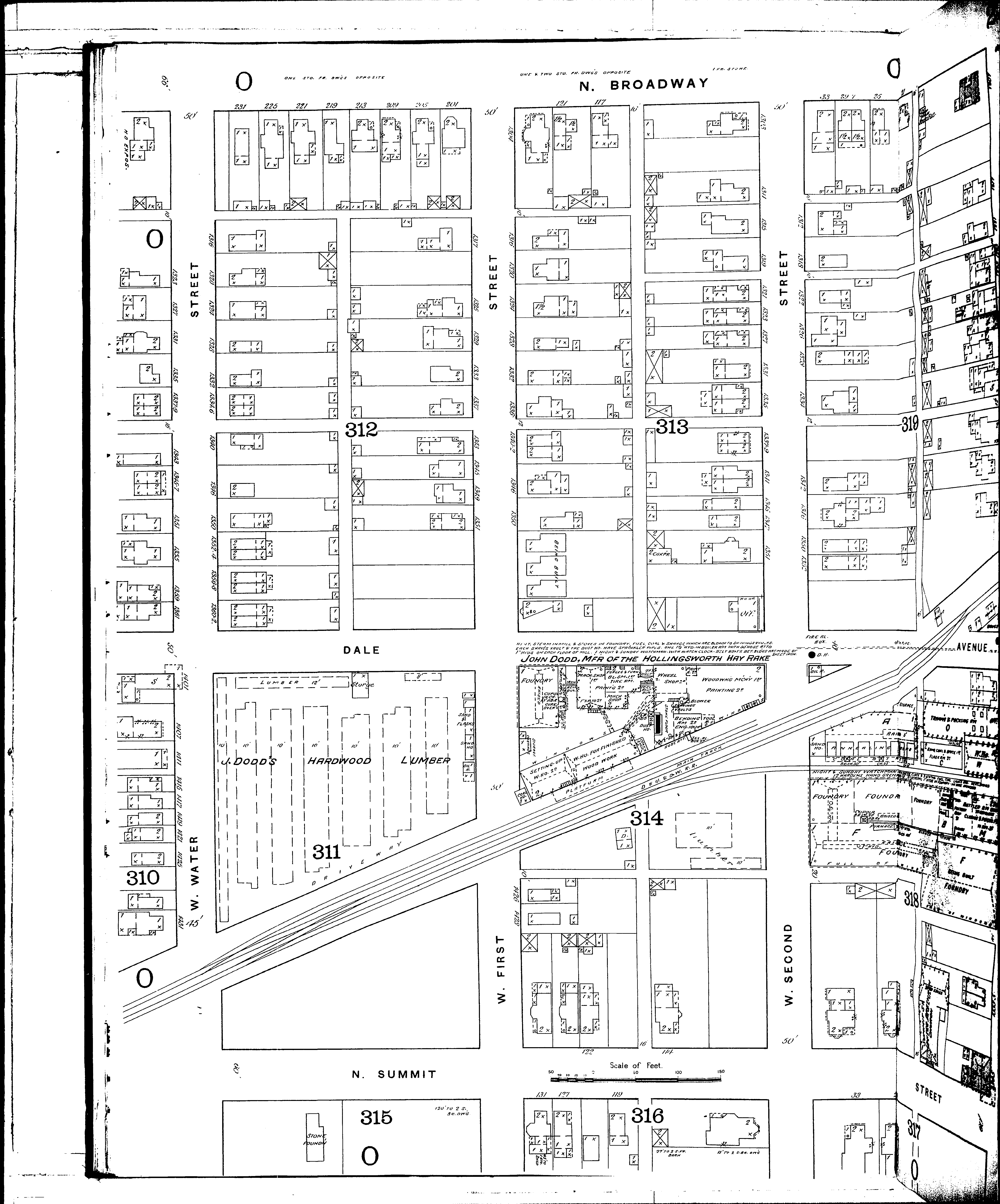
County: Montgomery Co.
City: Dayton
Date: 1887
Currently viewing image: 58 of 65
Previous - Next

Current sheet label: 28
Jump to sheet label:

Print map from PDF
Download full image
Download current view

Locations:
Davisson Meth. Episc. Church
Dayton Malleable Iron Co
Dayton Porcelain Pottery
Dodd, J., Hay Rake Mfy
Fourth Presbyterian Church
Gilbert, J. A., Coal & Wood Yd
McClure, J., Coal & Wood Yard
Smith S. N., & Co., Wine of Tar Fact
Summit St., United Brethren Ch
Wight, C., & Son, Lumber Yard

Streets:
Amity [100-155]
Broadway, N [1-305]
Broadway, S [1-19]
Broadway, S [100-125]
Dale Ave
Fifth, W [1431-1445]
First, W [1300-1505]
Fourth, W [1200-1235]
Second, W [1300-1505]
Summit, N [2-16]
Summit, N [17-230]
Summit, S [2-40]
Third, W [1200-1351]
Water W [1300-1445]